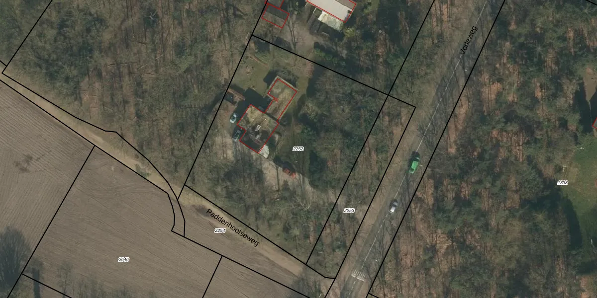
Perceel: MIL00-D-2252
KadastraleKaart.com kan meer dan je denktOntdek meer ›
Filter op bestemming 50+ datasets Eigendomsdata in één klik Percelen CRM
2.866 m2 - 217 m
Eigenaar opvragen
MIL00-D-2252 (Mill)
- 5451 GE
vYP 7GkhotUIsV3X77Sk9kwjgxZmUpgrade naar KadastraleKaart Pro
Verkoopprijs opvragen
Bekijk op Street View
Download DWG/DXF/Excel
CQ 8oVbJ uveOUWKvi0YqfUUpgrade naar KadastraleKaart Pro
lS51HJbSh3d2LRBD 2opIy8Upgrade naar KadastraleKaart Pro
HrgrEZzpCNcG Upgrade naar KadastraleKaart Pro
MTbQN8Ic9Zvm nnjOQMc7TQUpgrade naar KadastraleKaart Pro
ysIuCD OEFksoFUpgrade naar KadastraleKaart Pro
Cn52i4cNyygX1MR2Upgrade naar KadastraleKaart Pro
l8vL00ZI518qMh9r P1Ap9Upgrade naar KadastraleKaart Pro
tZGtt4bBsJvzB5XbUpgrade naar KadastraleKaart Pro
gsJWpm631OeUpgrade naar KadastraleKaart Pro
Pkq4K bKfXHkMkiswUpgrade naar KadastraleKaart Pro
27/09/2006

Percelen
Gebruik de zoekbalk of klik op een perceel om informatie over het perceel te bekijken.