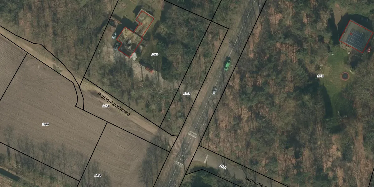
Perceel: MIL00-D-2253
KadastraleKaart.com kan meer dan je denktOntdek meer ›
Filter op bestemming 50+ datasets Eigendomsdata in één klik Percelen CRM
Geen adressen bij dit perceel
672 m2 - 148 m
Eigenaar opvragen
MIL00-D-2253 (Mill)
- Geen postcode aanwezig
PcuPpofClskMi4R 7zzmRhUpgrade naar KadastraleKaart Pro
Bekijk op Street View
Download DWG/DXF/Excel
HEL1i9me5KGZAC4Upgrade naar KadastraleKaart Pro
scYypK0SAenIrxf1DXmbE Upgrade naar KadastraleKaart Pro
ge7coxvzCAv8HUpgrade naar KadastraleKaart Pro
p8Kzw3kO sYltAUpgrade naar KadastraleKaart Pro
cJUXmmQDWgikrHgtmUpgrade naar KadastraleKaart Pro
42Z4n UF0T x Upgrade naar KadastraleKaart Pro
wYmydBVUpgrade naar KadastraleKaart Pro
i5NeIxkoAUpgrade naar KadastraleKaart Pro
BWD1k3 PSij EUpgrade naar KadastraleKaart Pro
GKfd6IU9YFH5AUpgrade naar KadastraleKaart Pro
27/09/2006

Percelen
Gebruik de zoekbalk of klik op een perceel om informatie over het perceel te bekijken.