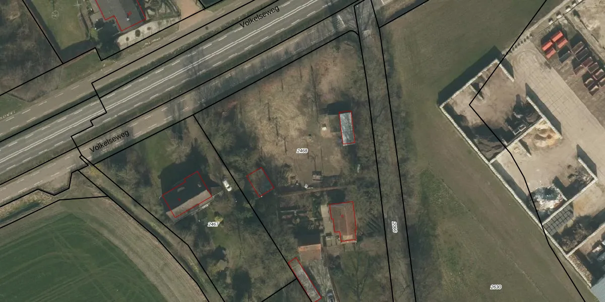
Perceel: MIL00-D-2468
KadastraleKaart.com kan meer dan je denktOntdek meer ›
Filter op bestemming 50+ datasets Eigendomsdata in één klik Percelen CRM
4.190 m2 - 333 m
Eigenaar opvragen
MIL00-D-2468 (Mill)
- 5455 GG
9BAN e7uuc uw8H3LJ JsgHE RqLfUpgrade naar KadastraleKaart Pro
Bekijk op Street View
Download DWG/DXF/Excel
2bfqbfr8P26Upgrade naar KadastraleKaart Pro
4JDn ELImFTySUpgrade naar KadastraleKaart Pro
xfk6qtrEHyZsOIKtM9Upgrade naar KadastraleKaart Pro
bcy JJc rMqUpgrade naar KadastraleKaart Pro
vBJ5C3qosTD8Hq60Upgrade naar KadastraleKaart Pro
B 2kbVM t Q5kZUpgrade naar KadastraleKaart Pro
CfSvP 3RiR D4i6Upgrade naar KadastraleKaart Pro
dBijRERe9A2Upgrade naar KadastraleKaart Pro
UYtMAM8JlKTxZT1 EwXUpgrade naar KadastraleKaart Pro
OfYlUzrrbtjIq 4bKaUpgrade naar KadastraleKaart Pro
06/07/2012

Percelen
Gebruik de zoekbalk of klik op een perceel om informatie over het perceel te bekijken.