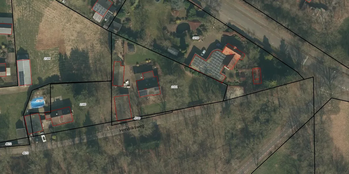
Perceel: MIL00-F-2161
KadastraleKaart.com kan meer dan je denktOntdek meer ›
Filter op bestemming 50+ datasets Eigendomsdata in één klik Percelen CRM
2.000 m2 - 199 m
Eigenaar opvragen
MIL00-F-2161 (Mill)
- 5453 JB
gG0moD0yj3eBdEnJ32AwbjQUpgrade naar KadastraleKaart Pro
Verkoopprijs opvragen
Bekijk op Street View
Download DWG/DXF/Excel
0YqZXvjzo6zSVFrLBpFUpgrade naar KadastraleKaart Pro
oKlv7mxa3mcTKDT7 daYUpgrade naar KadastraleKaart Pro
0gN0LOGYD1pIrUpgrade naar KadastraleKaart Pro
OCcn2 aQGbkZc x Wb8bNOiUpgrade naar KadastraleKaart Pro
tGB20y5DNaUpgrade naar KadastraleKaart Pro
Wf33E pGbpUpgrade naar KadastraleKaart Pro
4MPQlzuU lUpgrade naar KadastraleKaart Pro
RPGphitkOvzoXX5CxuUpgrade naar KadastraleKaart Pro
7pJL E hh Upgrade naar KadastraleKaart Pro
hcydpWZhiUpgrade naar KadastraleKaart Pro
24/03/2017

Percelen
Gebruik de zoekbalk of klik op een perceel om informatie over het perceel te bekijken.