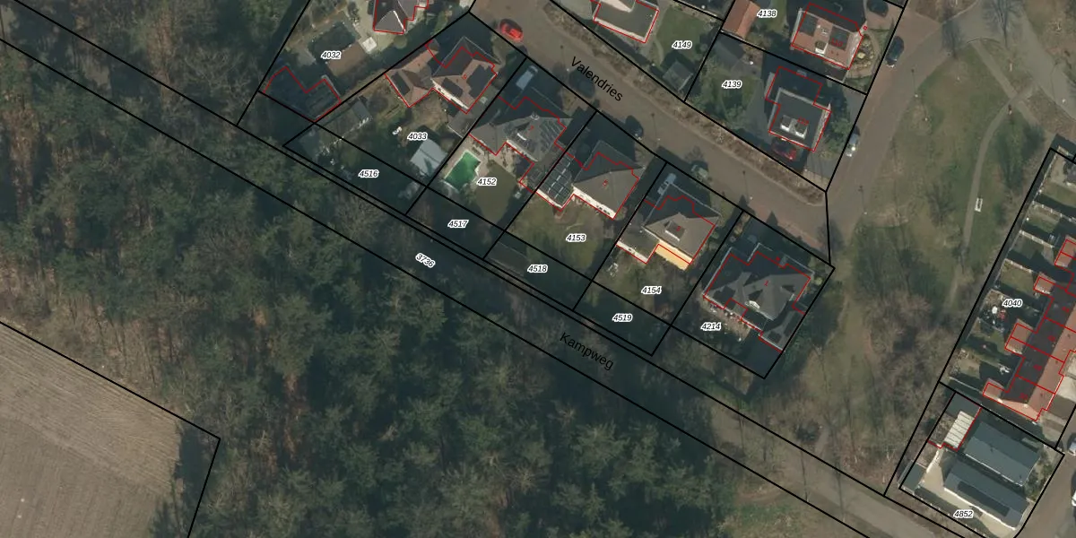
Perceel: MIL00-F-4518
KadastraleKaart.com kan meer dan je denktOntdek meer ›
Filter op bestemming 50+ datasets Eigendomsdata in één klik Percelen CRM
Geen adressen bij dit perceel
125 m2 - 51 m
Eigenaar opvragen
MIL00-F-4518 (Mill)
- Geen postcode aanwezig
kNC4rmateCcNRR QP1Upgrade naar KadastraleKaart Pro
Bekijk op Street View
Download DWG/DXF/Excel
q4ti QR PNnUpgrade naar KadastraleKaart Pro
Ar9j8NaYdB VUpgrade naar KadastraleKaart Pro
DFyEjAC jUpgrade naar KadastraleKaart Pro
Ng MYOhUr WfxUpgrade naar KadastraleKaart Pro
3oe0Vumza7Upgrade naar KadastraleKaart Pro
mTE4x 0eGbCgfz2stUpgrade naar KadastraleKaart Pro
E1S4Ydvd3lDmNtcuTh3hUpgrade naar KadastraleKaart Pro
G5HZgbbKQ4BOCNOUpgrade naar KadastraleKaart Pro
GzQDRysrxPlUGfAUpgrade naar KadastraleKaart Pro
sI7x7uovzhAqjyEA Upgrade naar KadastraleKaart Pro
13/02/2014

Percelen
Gebruik de zoekbalk of klik op een perceel om informatie over het perceel te bekijken.