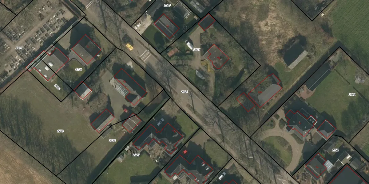
Perceel: MIL00-K-2664
KadastraleKaart.com kan meer dan je denktOntdek meer ›
Filter op bestemming 50+ datasets Eigendomsdata in één klik Percelen CRM
Geen adressen bij dit perceel
14.418 m2 - 1.832 m
Eigenaar opvragen
MIL00-K-2664 (Mill)
- Geen postcode aanwezig
j 4K kelIh7jDeP4M0W2M26s Upgrade naar KadastraleKaart Pro
Bekijk op Street View
Download DWG/DXF/Excel
h3vSOmO ZUpgrade naar KadastraleKaart Pro
5g3O q6FgiEUOaf8Hq 7RUpgrade naar KadastraleKaart Pro
Qau e4 WpSBnY9k9udCUpgrade naar KadastraleKaart Pro
wRGvgkqLJczRDIUpgrade naar KadastraleKaart Pro
lVx5b03m5LCEKfVEFC5CUpgrade naar KadastraleKaart Pro
T xHru oUpgrade naar KadastraleKaart Pro
61Ay55pm WOPTPY58gsFUpgrade naar KadastraleKaart Pro
aRy31uUB9EcDOU8fkm3Sx5Upgrade naar KadastraleKaart Pro
YKpA5UB Upgrade naar KadastraleKaart Pro
LiE cr fgwMypipRNUpgrade naar KadastraleKaart Pro
15/11/2023

Percelen
Gebruik de zoekbalk of klik op een perceel om informatie over het perceel te bekijken.