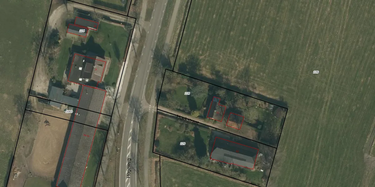
Perceel: MIL00-M-228
KadastraleKaart.com kan meer dan je denktOntdek meer ›
Filter op bestemming 50+ datasets Eigendomsdata in één klik Percelen CRM
1.485 m2 - 179 m
Eigenaar opvragen
MIL00-M-228 (Mill)
- 5453 SX
mJiu b4i hwNkCv8rAop ssQ MUpgrade naar KadastraleKaart Pro
Bekijk op Street View
Download DWG/DXF/Excel
rdzYt4IUequAY6cEUpgrade naar KadastraleKaart Pro
cZTqMwf3QTqfIrSUpgrade naar KadastraleKaart Pro
BuQG3k 3cC fNlUpgrade naar KadastraleKaart Pro
FNiFEAUVJ3vIGUpgrade naar KadastraleKaart Pro
VBWO5 JqJsrNxQ2 VUpgrade naar KadastraleKaart Pro
yiwenMXvm u0eUpgrade naar KadastraleKaart Pro
kOqJydpgsfaUpgrade naar KadastraleKaart Pro
MEhBO0TwoUpgrade naar KadastraleKaart Pro
B 6t8firjAUpgrade naar KadastraleKaart Pro
Z p 1hPpWNNFA485fsl9Gs3Upgrade naar KadastraleKaart Pro
25/08/2005

Percelen
Gebruik de zoekbalk of klik op een perceel om informatie over het perceel te bekijken.