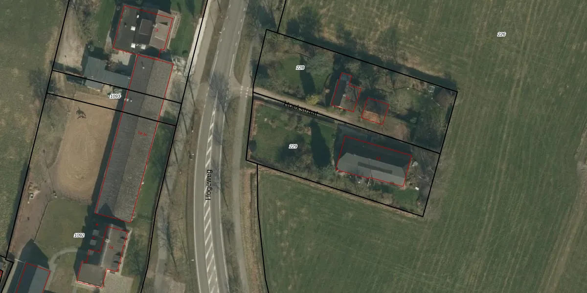
Perceel: MIL00-M-229
KadastraleKaart.com kan meer dan je denktOntdek meer ›
Filter op bestemming 50+ datasets Eigendomsdata in één klik Percelen CRM
1.465 m2 - 176 m
Eigenaar opvragen
MIL00-M-229 (Mill)
- 5453 SX
r1cRRY8j9eYZGNp4821JUpgrade naar KadastraleKaart Pro
Bekijk op Street View
Download DWG/DXF/Excel
nN2BCvnJqRfVFUpgrade naar KadastraleKaart Pro
wgqaSkiLS Wf5Upgrade naar KadastraleKaart Pro
k DkEbfoSMvdWztRrzs Upgrade naar KadastraleKaart Pro
yifPQl0Ue Upgrade naar KadastraleKaart Pro
3IfYjbhbE2AU8SFbNi k8Upgrade naar KadastraleKaart Pro
kC92QGTwUpgrade naar KadastraleKaart Pro
Sz TDSo9s3tLaQUpgrade naar KadastraleKaart Pro
FpPTbg9op ledIRrsqR Upgrade naar KadastraleKaart Pro
u4Xx32vfa wCxUpgrade naar KadastraleKaart Pro
C iHoqb9zBwHBupqJ cHeUpgrade naar KadastraleKaart Pro
25/08/2005

Percelen
Gebruik de zoekbalk of klik op een perceel om informatie over het perceel te bekijken.