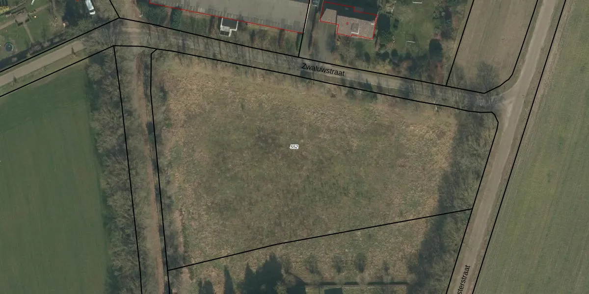
Perceel: MIL00-N-552
KadastraleKaart.com kan meer dan je denktOntdek meer ›
Filter op bestemming 50+ datasets Eigendomsdata in één klik Percelen CRM
Geen adressen bij dit perceel
5.925 m2 - 333 m
Eigenaar opvragen
MIL00-N-552 (Mill)
- Geen postcode aanwezig
7aJhCfV4 j MCiSBnUpgrade naar KadastraleKaart Pro
Bekijk op Street View
Download DWG/DXF/Excel
cqe9YcLN TtiRC Hi9UCK 4Upgrade naar KadastraleKaart Pro
7P77f kt7azuEUpgrade naar KadastraleKaart Pro
86ACuSkgH5jU3wihP26wFUpgrade naar KadastraleKaart Pro
OTybh 3ftBUpgrade naar KadastraleKaart Pro
74wS EC yoUWUOUpgrade naar KadastraleKaart Pro
VXDVgeepUpgrade naar KadastraleKaart Pro
NJqi9ub L2paWcvk6mIl6Upgrade naar KadastraleKaart Pro
4ai0K gIM K5Q tUpgrade naar KadastraleKaart Pro
un5LQm0M4iD8pWnUpgrade naar KadastraleKaart Pro
d2HrHEeT9FBIebUpgrade naar KadastraleKaart Pro
29/09/2006

Percelen
Gebruik de zoekbalk of klik op een perceel om informatie over het perceel te bekijken.