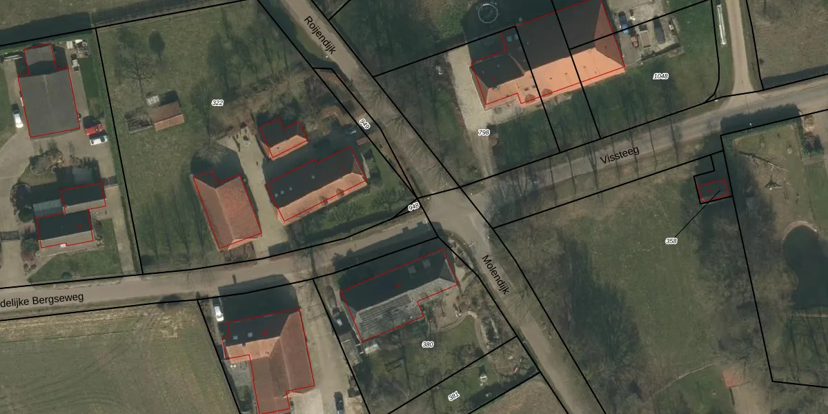
Perceel: MIL00-N-948
KadastraleKaart.com kan meer dan je denktOntdek meer ›
Filter op bestemming 50+ datasets Eigendomsdata in één klik Percelen CRM
Geen adressen bij dit perceel
8 m2 - 17 m
Eigenaar opvragen
MIL00-N-948 (Mill)
- Geen postcode aanwezig
V i6 mnCcDfq61fvUGo aIRqMLUpgrade naar KadastraleKaart Pro
Bekijk op Street View
Download DWG/DXF/Excel
qsV WMts3e6SIc OoTJ3Upgrade naar KadastraleKaart Pro
CgL9ZY wgKEyPZUpgrade naar KadastraleKaart Pro
i FjUoBwlaHk7reqYC fUpgrade naar KadastraleKaart Pro
4sTInGtwnBbAXK7sItb NFpUpgrade naar KadastraleKaart Pro
C mup7UEUpgrade naar KadastraleKaart Pro
NkKuNsiE6jcL7Fw rUpgrade naar KadastraleKaart Pro
GCbmF1 qT6zhd RUpgrade naar KadastraleKaart Pro
4JRiJY0W398moKpwKScWUpgrade naar KadastraleKaart Pro
HH8F69mn6fj Upgrade naar KadastraleKaart Pro
Mpjkh8QXThs6ITV9s 3Upgrade naar KadastraleKaart Pro
30/03/2017

Percelen
Gebruik de zoekbalk of klik op een perceel om informatie over het perceel te bekijken.