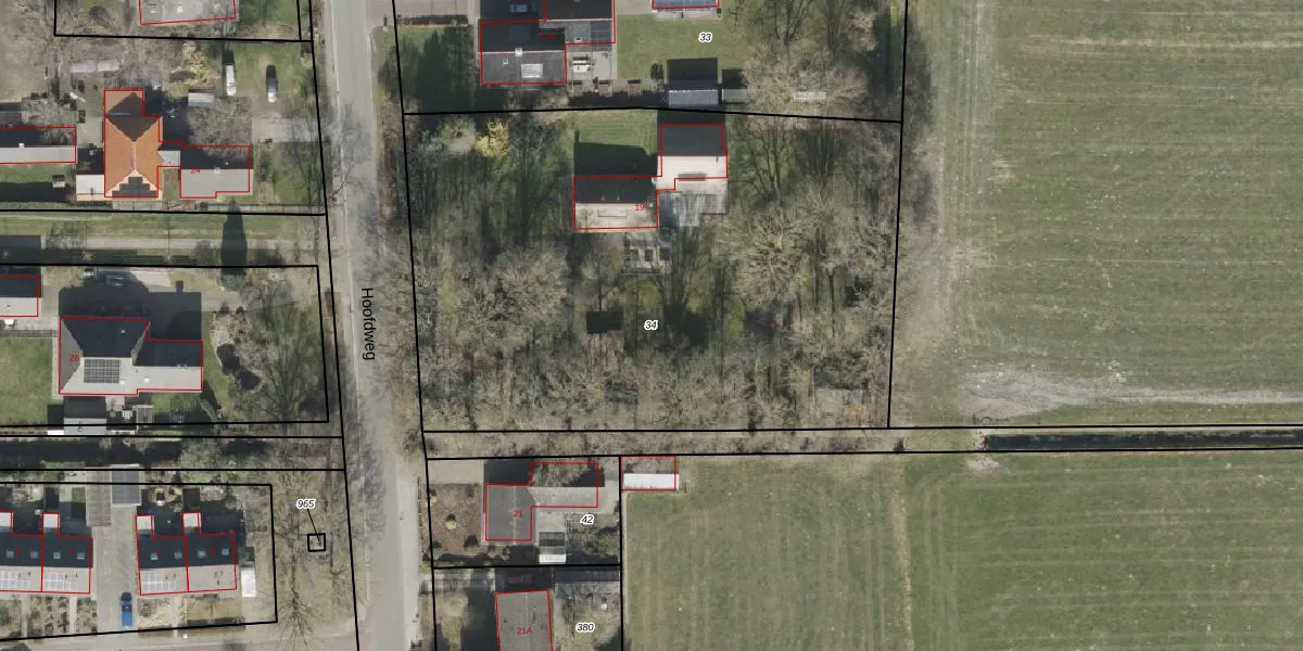
Perceel: MKG00-F-34
KadastraleKaart.com kan meer dan je denktOntdek meer ›
Filter op bestemming 50+ datasets Eigendomsdata in één klik Percelen CRM
3.630 m2 - 244 m
Eigenaar opvragen
MKG00-F-34 (Makkinga)
- 8424 PJ
Nf vdVrzr3 DfpSALTeAy3 NvylOZmQUpgrade naar KadastraleKaart Pro
Verkoopprijs opvragen
Bekijk op Street View
Download DWG/DXF/Excel
Kqh0 2AR5hKz32ayUpgrade naar KadastraleKaart Pro
lp9uhoiUqMsONENDdUpgrade naar KadastraleKaart Pro
Yf8FZ39Xl1tQdUpgrade naar KadastraleKaart Pro
5eqFaeEbdfl1Upgrade naar KadastraleKaart Pro
EaRp1 v1ev3Upgrade naar KadastraleKaart Pro
BSJ03na PmMZtuIh4Upgrade naar KadastraleKaart Pro
7bJUJWLOatHoKIieD AUpgrade naar KadastraleKaart Pro
Hv JytW IA p9ZsqB JhCw Upgrade naar KadastraleKaart Pro
90bE5rktvGc J9Upgrade naar KadastraleKaart Pro
RVTd4YThA2Rot1SdHdcUpgrade naar KadastraleKaart Pro
20/08/2001

Percelen
Gebruik de zoekbalk of klik op een perceel om informatie over het perceel te bekijken.