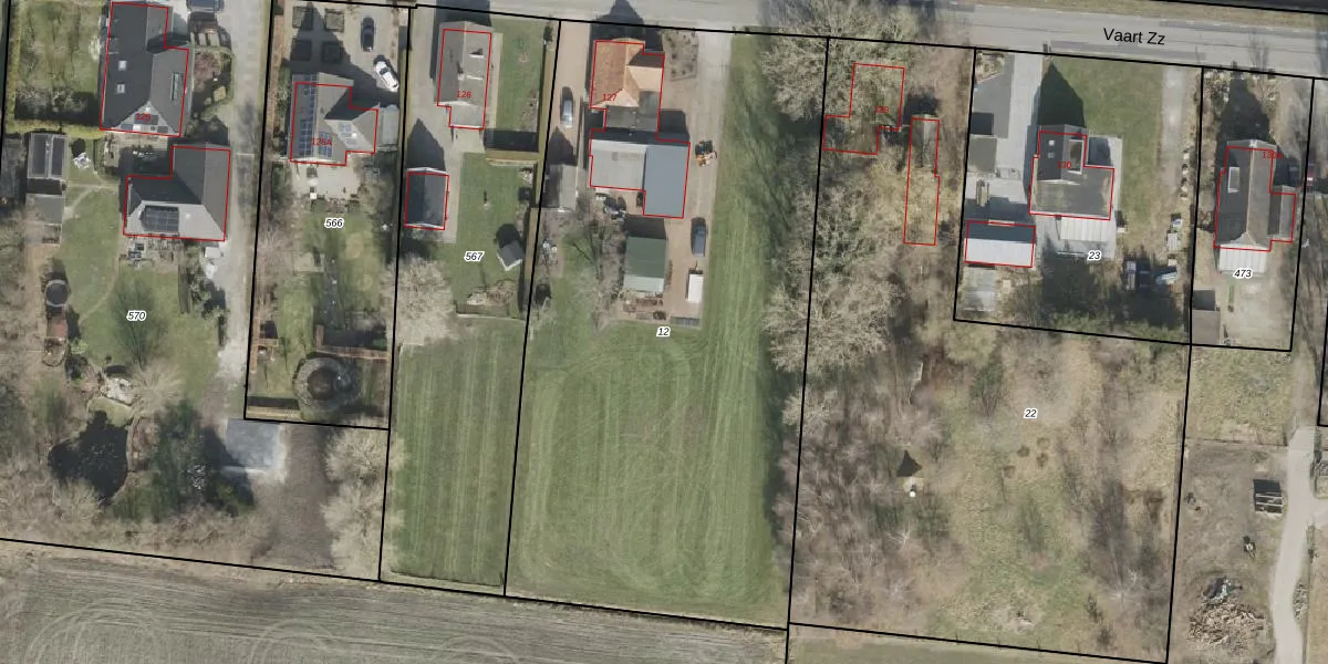
Perceel: MKG00-L-12
KadastraleKaart.com kan meer dan je denktOntdek meer ›
Filter op bestemming 50+ datasets Eigendomsdata in één klik Percelen CRM
3.690 m2 - 260 m
Eigenaar opvragen
MKG00-L-12 (Makkinga)
- 8426 AL
i UDubVfFigL0 ZCWJqm ZUpgrade naar KadastraleKaart Pro
Bekijk op Street View
Download DWG/DXF/Excel
BAAKNUIaWe mFE NOUpgrade naar KadastraleKaart Pro
Rf C1DM9F76mG1y94WKUpgrade naar KadastraleKaart Pro
dztN6crjJWOr4fy2Upgrade naar KadastraleKaart Pro
y1hJms8WsUpgrade naar KadastraleKaart Pro
R04wTz8DXFz W82 XUpgrade naar KadastraleKaart Pro
Zc1 pd6CsP Q 18kXyMUpgrade naar KadastraleKaart Pro
hKzOnddGp EKvSffSxUx7rnUpgrade naar KadastraleKaart Pro
SHtJY954Nn1BUpgrade naar KadastraleKaart Pro
GSuxndDgHMUpgrade naar KadastraleKaart Pro
so F2zfXUpgrade naar KadastraleKaart Pro
15/05/2003

Percelen
Gebruik de zoekbalk of klik op een perceel om informatie over het perceel te bekijken.