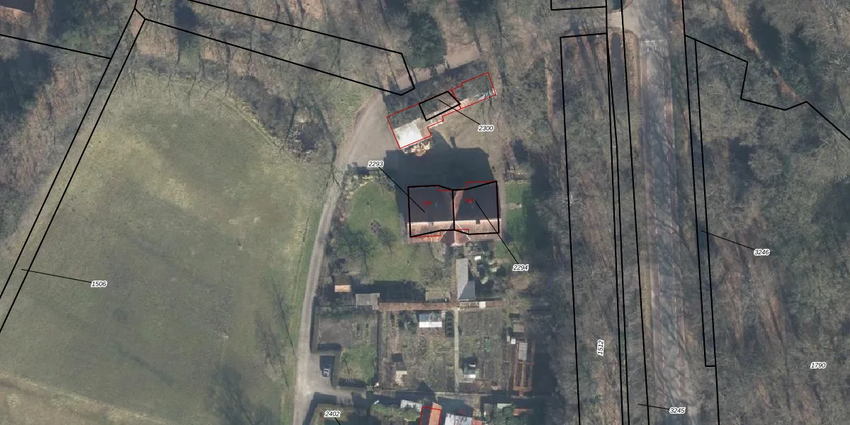
Perceel: MKL00-C-2293
114 m2 - 42 m
Eigenaar opvragen
MKL00-C-2293 (Markelo)
- 7475 MN
V mmevFvTGs5g 7Upgrade naar KadastraleKaart Pro
Bekijk op Street View
Download DWG/DXF/Excel
EQBp cmeu9Upgrade naar KadastraleKaart Pro
q qn01HVkp2RRYe UUpgrade naar KadastraleKaart Pro
trL6QWnxqiGUpgrade naar KadastraleKaart Pro
q9A3Gqv4khjCSD e2maUpgrade naar KadastraleKaart Pro
lev wtWILcK0 GaDwYUpgrade naar KadastraleKaart Pro
TuG E3SK dCN5qxLztgUpgrade naar KadastraleKaart Pro
xR3N1L5JcchBiUpgrade naar KadastraleKaart Pro
9eSsRVBdpk4 z XCRixnqtZUpgrade naar KadastraleKaart Pro
S QYBNjtyli5Upgrade naar KadastraleKaart Pro
KZggGF1uHOlUpgrade naar KadastraleKaart Pro
09/05/2003

Percelen
Gebruik de zoekbalk of klik op een perceel om informatie over het perceel te bekijken.