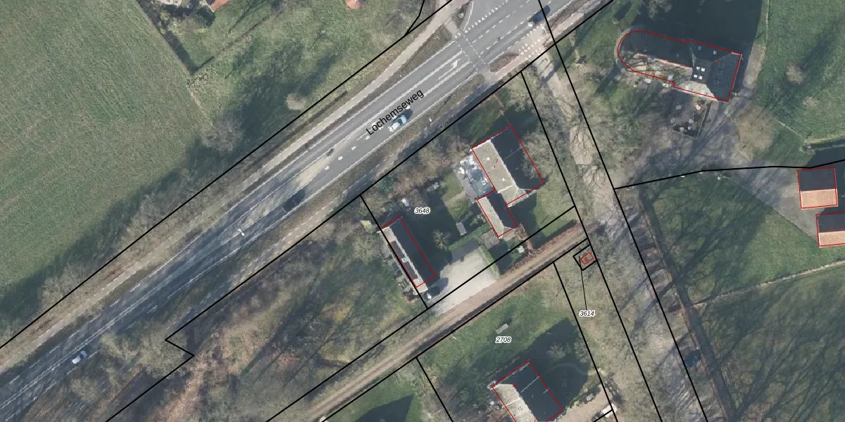
Perceel: MKL00-E-3648
1.355 m2 - 156 m
Eigenaar opvragen
MKL00-E-3648 (Markelo)
- 7475 PA
aiPSpAIahaBL ZZEUpgrade naar KadastraleKaart Pro
Verkoopprijs opvragen
Bekijk op Street View
Download DWG/DXF/Excel
nFXDHBCkWJXCkRUpgrade naar KadastraleKaart Pro
cF9rtg0TsSpI1Z78GKzl frUpgrade naar KadastraleKaart Pro
M6qj7pBEjrLPcfbz2jMsbn4Upgrade naar KadastraleKaart Pro
YxyRNbnvcz5Upgrade naar KadastraleKaart Pro
kkJkdP38TgUpgrade naar KadastraleKaart Pro
EhXae nKOUpgrade naar KadastraleKaart Pro
RL0Z3CWrmUpgrade naar KadastraleKaart Pro
rFmPaRhyrI1UhLCbmscrgUpgrade naar KadastraleKaart Pro
Zaf dJrq1PRF wYFUpgrade naar KadastraleKaart Pro
4H9WtdEVrYOY uscb2Upgrade naar KadastraleKaart Pro
01/09/2003

Percelen
Gebruik de zoekbalk of klik op een perceel om informatie over het perceel te bekijken.