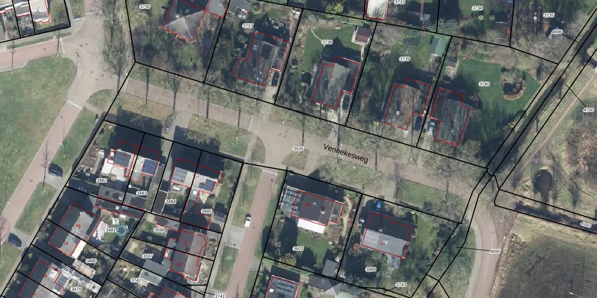
Perceel: MKL00-I-3935
Geen adressen bij dit perceel
2.584 m2 - 291 m
Eigenaar opvragen
MKL00-I-3935 (Markelo)
- Geen postcode aanwezig
Q 93gkOWyh0k9 yxajlpFkTeZdv EcuUpgrade naar KadastraleKaart Pro
Bekijk op Street View
Download DWG/DXF/Excel
vV3aDc0Pza PHTUpgrade naar KadastraleKaart Pro
4 FZkRbvT UdG3lY NEUpgrade naar KadastraleKaart Pro
q OWG9 tKT W maAUpgrade naar KadastraleKaart Pro
psheMFreHD9eT6yEqAcnvUpgrade naar KadastraleKaart Pro
tMA xCQPNSVy Upgrade naar KadastraleKaart Pro
Isc VEvzsLz85Upgrade naar KadastraleKaart Pro
K1XhL2ZqUpgrade naar KadastraleKaart Pro
cw TSboR5c8cUpgrade naar KadastraleKaart Pro
WH8oklhpyhQKZ2VFfEUpgrade naar KadastraleKaart Pro
n6yi46BDU 2 ZrOQyt8sDUpgrade naar KadastraleKaart Pro
03/10/2008

Percelen
Gebruik de zoekbalk of klik op een perceel om informatie over het perceel te bekijken.