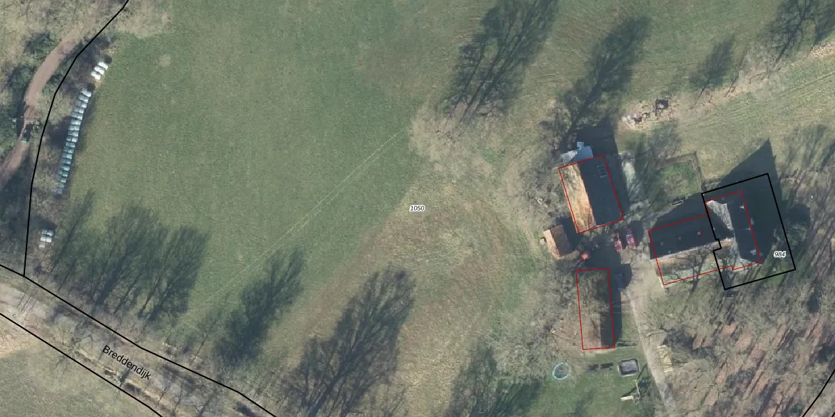
Perceel: MKL00-M-1050
KadastraleKaart.com kan meer dan je denktOntdek meer ›
Filter op bestemming 50+ datasets Eigendomsdata in één klik Percelen CRM
25.250 m2 - 951 m
Eigenaar opvragen
MKL00-M-1050 (Markelo)
- 7475 TL
RvL2UDOZ7ycc8KxUUpgrade naar KadastraleKaart Pro
Bekijk op Street View
Download DWG/DXF/Excel
UzMyJyHhhVBUpgrade naar KadastraleKaart Pro
zTzgx10C VROpDlfBkUpgrade naar KadastraleKaart Pro
tgTxWyJ ywrUpgrade naar KadastraleKaart Pro
l0Vgv Xjrs B1F8PUpgrade naar KadastraleKaart Pro
i7ADW1 PQfqzVTxl9Upgrade naar KadastraleKaart Pro
9dk7 WyYy69BQMtUwUpgrade naar KadastraleKaart Pro
4VQppp g 0uALiwx gwsUpgrade naar KadastraleKaart Pro
rzboAs 7RO92Hb0PUpgrade naar KadastraleKaart Pro
c794xhaTXGUpgrade naar KadastraleKaart Pro
k3I5jQoZhbIVyPIcFbbnpdUpgrade naar KadastraleKaart Pro
03/03/2011

Percelen
Gebruik de zoekbalk of klik op een perceel om informatie over het perceel te bekijken.