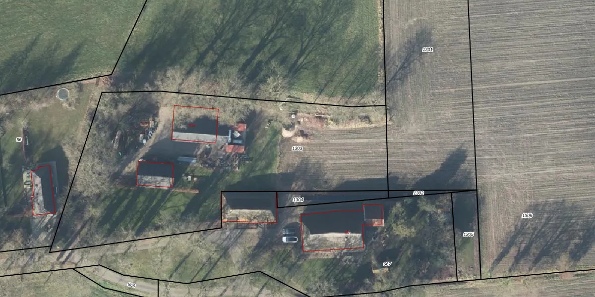
Perceel: MKL00-M-1303
KadastraleKaart.com kan meer dan je denktOntdek meer ›
Filter op bestemming 50+ datasets Eigendomsdata in één klik Percelen CRM
4.120 m2 - 308 m
Eigenaar opvragen
MKL00-M-1303 (Markelo)
- 7475 VC
cKEIT GrnosdFGg0OBaToXUpgrade naar KadastraleKaart Pro
Bekijk op Street View
Download DWG/DXF/Excel
fl0pqo2nM7uPur1wz6dzqBwUpgrade naar KadastraleKaart Pro
mU0Y73sTWUpgrade naar KadastraleKaart Pro
zRCo 9UQcS uXCfG Upgrade naar KadastraleKaart Pro
FM3KMhltg6b oAO 7gYZ2Upgrade naar KadastraleKaart Pro
qW8Vv14x2A7b8MUpgrade naar KadastraleKaart Pro
Ua9urvTMnIhoRu Upgrade naar KadastraleKaart Pro
jItuBh AdIQ0UgrTNR4p J Upgrade naar KadastraleKaart Pro
bIlhl4ShjM9stiKBnDUpgrade naar KadastraleKaart Pro
GW AMB tlqZkAfC o7Upgrade naar KadastraleKaart Pro
7J AeSn7B6r9NvItkeQ6MYeUpgrade naar KadastraleKaart Pro
29/03/2024

Percelen
Gebruik de zoekbalk of klik op een perceel om informatie over het perceel te bekijken.