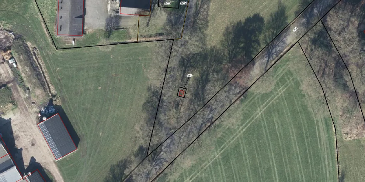
Perceel: MKL00-O-260
20 m2 - 18 m
Eigenaar opvragen
MKL00-O-260 (Markelo)
- 7475 RZ
57 kll48k6WNl Ir AVTIdUpgrade naar KadastraleKaart Pro
Bekijk op Street View
Download DWG/DXF/Excel
rDF2x9DbRJ8oNUpgrade naar KadastraleKaart Pro
831gUWYgUpgrade naar KadastraleKaart Pro
Q9h9cBCybRx0BJUpgrade naar KadastraleKaart Pro
b7RDf9mUpgrade naar KadastraleKaart Pro
LEEFs41S8oUNz imUpgrade naar KadastraleKaart Pro
5sA hT1fohW9JUpgrade naar KadastraleKaart Pro
83kM1hExSGO5Upgrade naar KadastraleKaart Pro
izS 0X 4HOBxLy 57YSDN8yUpgrade naar KadastraleKaart Pro
UxKLhxCEYuP62hBUpgrade naar KadastraleKaart Pro
cbhcyHhFJRLdUpgrade naar KadastraleKaart Pro
09/04/2003

Percelen
Gebruik de zoekbalk of klik op een perceel om informatie over het perceel te bekijken.