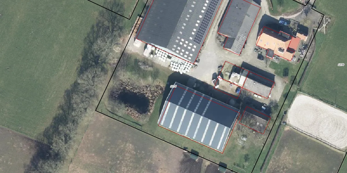
Perceel: MKL00-P-1275
KadastraleKaart.com kan meer dan je denktOntdek meer ›
Filter op bestemming 50+ datasets Eigendomsdata in één klik Percelen CRM
10.470 m2 - 644 m
Eigenaar opvragen
MKL00-P-1275 (Markelo)
- 7475 RJ
vK2LxSQfGfu5DNCWPtUpgrade naar KadastraleKaart Pro
Bekijk op Street View
Download DWG/DXF/Excel
1UjquBgLbjw 3zGUpgrade naar KadastraleKaart Pro
NZefXPLOleLoD QhUpgrade naar KadastraleKaart Pro
JAy MwyEh eDIeT8BQkjeUpgrade naar KadastraleKaart Pro
Ppe JHKaUSOxR3BgUpgrade naar KadastraleKaart Pro
6lI 10JkVejR9eJ rb4g8JUpgrade naar KadastraleKaart Pro
Q7piHGpv72PDCMsO2IUpgrade naar KadastraleKaart Pro
HFD1d1qfPAVL6aAqdxkIdUpgrade naar KadastraleKaart Pro
QJ5YIZB BPkUpgrade naar KadastraleKaart Pro
B9Qjz4 nYzEUtgj4JUpgrade naar KadastraleKaart Pro
mNTP4U hUpgrade naar KadastraleKaart Pro
17/12/2020

Percelen
Gebruik de zoekbalk of klik op een perceel om informatie over het perceel te bekijken.