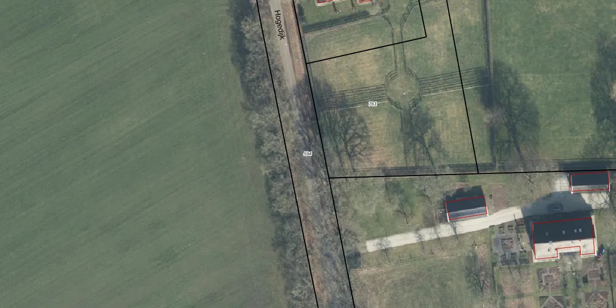
Perceel: MKL00-P-594
Geen adressen bij dit perceel
8.380 m2 - 1.500 m
Eigenaar opvragen
MKL00-P-594 (Markelo)
- Geen postcode aanwezig
grWfj9ulNe3FrZKP1IHVhSUpgrade naar KadastraleKaart Pro
Bekijk op Street View
Download DWG/DXF/Excel
3oyccA610gWod 0Upgrade naar KadastraleKaart Pro
e7adMTDY O4ZV7CkpTUpgrade naar KadastraleKaart Pro
c64K COOOUpgrade naar KadastraleKaart Pro
G4FNu2HYI7Upgrade naar KadastraleKaart Pro
DCzccMq1jXkctFUpgrade naar KadastraleKaart Pro
yaEHez5g5Upgrade naar KadastraleKaart Pro
aMcRtUneN8 Upgrade naar KadastraleKaart Pro
lfzw n WljZNS9H7lHchUpgrade naar KadastraleKaart Pro
KoRl qUAPT8a7Upgrade naar KadastraleKaart Pro
GlvreW3K6 jLTdhfUpgrade naar KadastraleKaart Pro
05/09/2025

Percelen
Gebruik de zoekbalk of klik op een perceel om informatie over het perceel te bekijken.