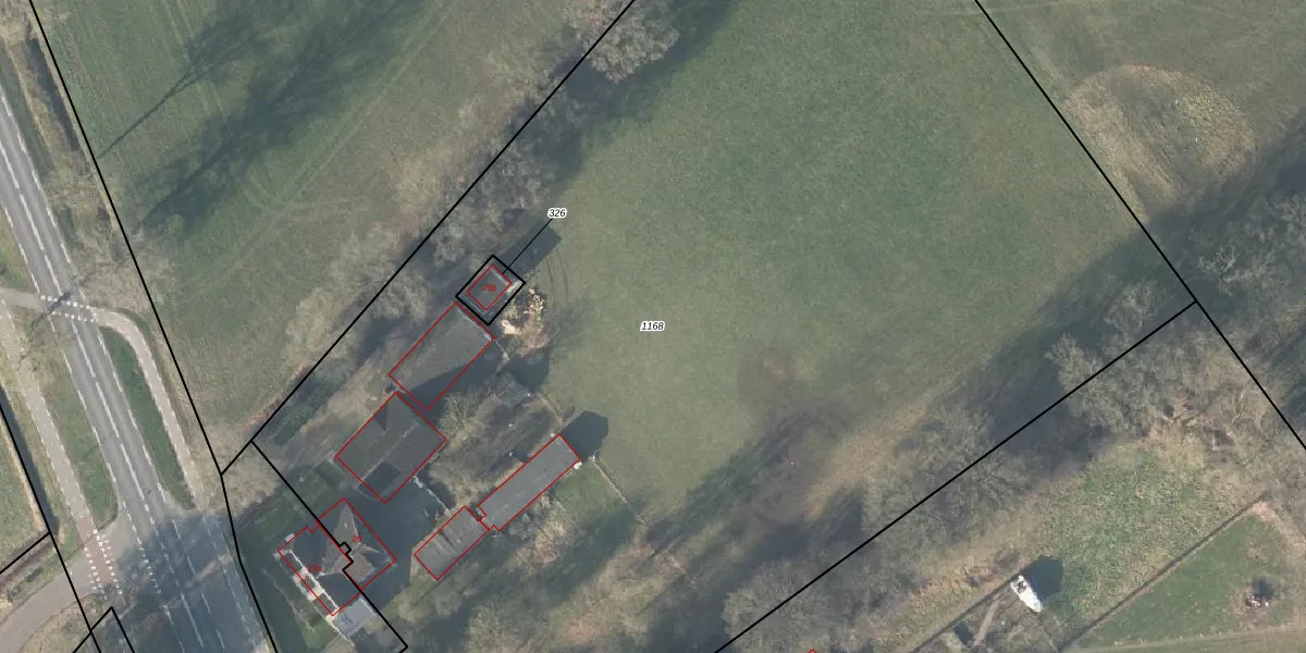
Perceel: MKL00-Q-1168
KadastraleKaart.com kan meer dan je denktOntdek meer ›
Filter op bestemming 50+ datasets Eigendomsdata in één klik Percelen CRM
11.340 m2 - 507 m
Eigenaar opvragen
MKL00-Q-1168 (Markelo)
- 7475 NM
jIIa8dpPnjFmsi9z8 0h OiydUpgrade naar KadastraleKaart Pro
Verkoopprijs opvragen
Bekijk op Street View
Download DWG/DXF/Excel
QUTpYgU6UEQfXUpgrade naar KadastraleKaart Pro
anUmCIIXRC0Km9 qrp5rUpgrade naar KadastraleKaart Pro
G hXVnsoNZ4oPdsyXoGigUpgrade naar KadastraleKaart Pro
dFFoNq 9IUpgrade naar KadastraleKaart Pro
P4MrzPAk7vUpgrade naar KadastraleKaart Pro
8ZLqgWAXBG45xPZYvzS2MrUpgrade naar KadastraleKaart Pro
epo9kYS2kM8zUpgrade naar KadastraleKaart Pro
Od4DRaT66QrNaaCUpgrade naar KadastraleKaart Pro
EBja8yimuaY1yF3NUpgrade naar KadastraleKaart Pro
4EVXk1SoXDNAxUpgrade naar KadastraleKaart Pro
28/07/2005

Percelen
Gebruik de zoekbalk of klik op een perceel om informatie over het perceel te bekijken.