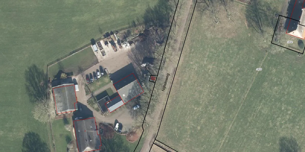
Perceel: MKL00-Q-427
18 m2 - 17 m
Eigenaar opvragen
MKL00-Q-427 (Markelo)
- 7475 NL
5uEdrKPFu9erhPpkPFN0 d Upgrade naar KadastraleKaart Pro
Bekijk op Street View
Download DWG/DXF/Excel
gKwTkGN M BufCwm nUpgrade naar KadastraleKaart Pro
kyqmK5ouo9I MJXhbT1cUpgrade naar KadastraleKaart Pro
0Ti1Xmg7FLyAomKsUpgrade naar KadastraleKaart Pro
f 7W4FfZIbH74GlifBUpgrade naar KadastraleKaart Pro
YqKg hxidBNb9Upgrade naar KadastraleKaart Pro
EgG6LHUzlxLn 0bYSyPtnEHUpgrade naar KadastraleKaart Pro
Ync Jl4DVgJ yM4zKh9ELoUpgrade naar KadastraleKaart Pro
fUHwfd9Kr Udz0BSVUpgrade naar KadastraleKaart Pro
Ad3kC1bQ8LaA9IGt8MlyLUpgrade naar KadastraleKaart Pro
Iz8QQC0gYrmJX3E MUpgrade naar KadastraleKaart Pro
15/04/2003

Percelen
Gebruik de zoekbalk of klik op een perceel om informatie over het perceel te bekijken.