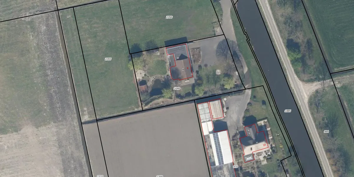
Perceel: MLD00-I-1648
KadastraleKaart.com kan meer dan je denktOntdek meer ›
Filter op bestemming 50+ datasets Eigendomsdata in één klik Percelen CRM
1.847 m2 - 179 m
Eigenaar opvragen
MLD00-I-1648 (Maasland)
- 3155 CC
ybPliEDQP 8vzT vm4SGJEESUXF Upgrade naar KadastraleKaart Pro
Bekijk op Street View
Download DWG/DXF/Excel
eAMYRL4 QnkpV0rH Sh79HUpgrade naar KadastraleKaart Pro
zDiYX1uO3MXlCERliuUpgrade naar KadastraleKaart Pro
HFc900D86WuBBmXXqTA qsKUpgrade naar KadastraleKaart Pro
GRbpT QzrDYajUpgrade naar KadastraleKaart Pro
uPMZ0QM4oPS3jWIhwjXcnYUpgrade naar KadastraleKaart Pro
aWqzOBjVismGplFsRcUpgrade naar KadastraleKaart Pro
tPLgIcDPZUpgrade naar KadastraleKaart Pro
o4c8ckZd30Xsnho8Upgrade naar KadastraleKaart Pro
VZQG8 G 81 0IF3c9 NKUpgrade naar KadastraleKaart Pro
0X6 mHGS 5Upgrade naar KadastraleKaart Pro
03/12/2010

Percelen
Gebruik de zoekbalk of klik op een perceel om informatie over het perceel te bekijken.