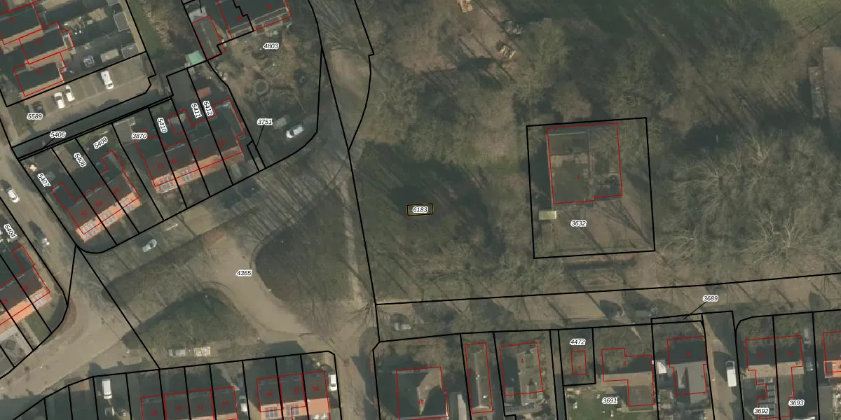
Perceel: MLG00-A-6183
KadastraleKaart.com kan meer dan je denktOntdek meer ›
Filter op bestemming 50+ datasets Eigendomsdata in één klik Percelen CRM
Geen adressen bij dit perceel
15 m2 - 17 m
Eigenaar opvragen
MLG00-A-6183 (Millingen)
- Geen postcode aanwezig
8EUNe9fOsnVxnW0p4XGPVv Upgrade naar KadastraleKaart Pro
Bekijk op Street View
Download DWG/DXF/Excel
9Jok7ntAzjnd1q5Upgrade naar KadastraleKaart Pro
4gdYLf31Upgrade naar KadastraleKaart Pro
9IWYDnGS4dD6Upgrade naar KadastraleKaart Pro
6d7RQYfAtmIj z7aJKQfUpgrade naar KadastraleKaart Pro
j19qM8j7uMSJN4T iqTO2Upgrade naar KadastraleKaart Pro
glst7yGIZ 9LGFyOkHO4ZMUpgrade naar KadastraleKaart Pro
Auayideb YUpgrade naar KadastraleKaart Pro
zE yI0dhWC8Eqrg7g XUpgrade naar KadastraleKaart Pro
2IOM ieNiUpgrade naar KadastraleKaart Pro
n2fq8Q2rpmKY86V36bUpgrade naar KadastraleKaart Pro
10/10/2017

Percelen
Gebruik de zoekbalk of klik op een perceel om informatie over het perceel te bekijken.