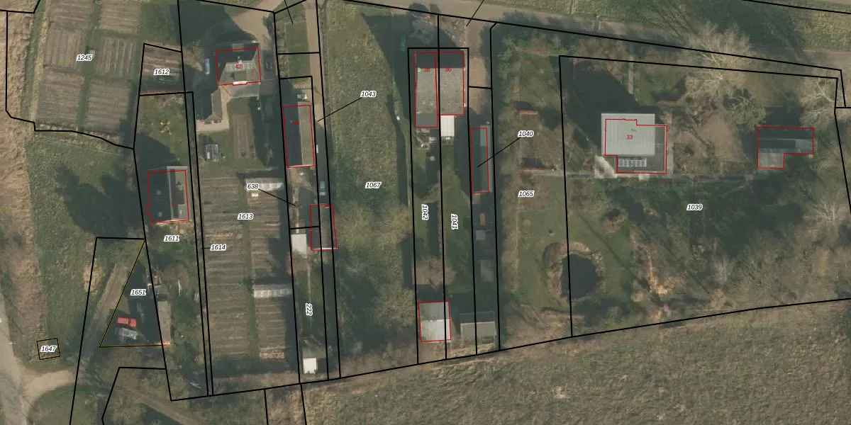
Perceel: MLG00-C-1042
KadastraleKaart.com kan meer dan je denktOntdek meer ›
Filter op bestemming 50+ datasets Eigendomsdata in één klik Percelen CRM
515 m2 - 162 m
Eigenaar opvragen
MLG00-C-1042 (Millingen)
- 6566 CG
P5J7PuR5p1OS rrUfe8Kf4GLyUpgrade naar KadastraleKaart Pro
Bekijk op Street View
Download DWG/DXF/Excel
W7WRNOUd9SvsH0Upgrade naar KadastraleKaart Pro
rHD5n1Bdcy6KYUpgrade naar KadastraleKaart Pro
NhAo 0zsV7ZQgb0Upgrade naar KadastraleKaart Pro
B4RcXkslJWlbFnrRqDFkE YUpgrade naar KadastraleKaart Pro
B6C81Esw2I wkMN0l f5wiUpgrade naar KadastraleKaart Pro
AZ8 rMiFf2A6Upgrade naar KadastraleKaart Pro
DKl44ZXzgtqR1SbaYJUpgrade naar KadastraleKaart Pro
HvXEAItDG0PDt5Rlg54SXUpgrade naar KadastraleKaart Pro
BCHSbzvyPUAgUpgrade naar KadastraleKaart Pro
MOPDnK4KZbwmWfUpgrade naar KadastraleKaart Pro
19/11/2019

Percelen
Gebruik de zoekbalk of klik op een perceel om informatie over het perceel te bekijken.