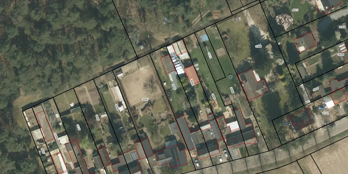
Perceel: MLK00-A-3046
KadastraleKaart.com kan meer dan je denktOntdek meer ›
Filter op bestemming 50+ datasets Eigendomsdata in één klik Percelen CRM
795 m2 - 167 m
Eigenaar opvragen
MLK00-A-3046 (Melick en Herkenbosch)
- 6075 NC
HjwBkrpEoHfx95TXFGqElnyUpgrade naar KadastraleKaart Pro
Verkoopprijs opvragen
Bekijk op Street View
Download DWG/DXF/Excel
rvA u3MXai vXj9i vhTUpgrade naar KadastraleKaart Pro
lSXxV bAJqcsg2Upgrade naar KadastraleKaart Pro
XYSE0Uej7v61e 7FDu4NZUpgrade naar KadastraleKaart Pro
jhyt WbjFF2WROug7x 7V6Upgrade naar KadastraleKaart Pro
tYK C C nD7t9Upgrade naar KadastraleKaart Pro
2e hI5QYt4FGofOUpgrade naar KadastraleKaart Pro
KgHJHR99o4AkJw3uFGUpgrade naar KadastraleKaart Pro
HzfJHWEkjM BhUpgrade naar KadastraleKaart Pro
q2hmrWagiaOsDRWVRUpgrade naar KadastraleKaart Pro
5huN6P2PMrllsERO1dUpgrade naar KadastraleKaart Pro
04/03/2009

Percelen
Gebruik de zoekbalk of klik op een perceel om informatie over het perceel te bekijken.