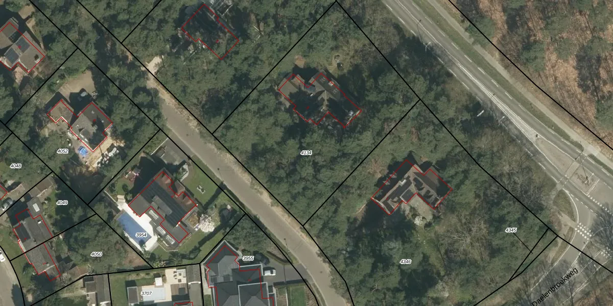
Perceel: MLK00-A-4134
KadastraleKaart.com kan meer dan je denktOntdek meer ›
Filter op bestemming 50+ datasets Eigendomsdata in één klik Percelen CRM
2.435 m2 - 200 m
Eigenaar opvragen
MLK00-A-4134 (Melick en Herkenbosch)
- 6075 GA
XKfuiP8HeMTViphd oHHE3ncUpgrade naar KadastraleKaart Pro
Verkoopprijs opvragen
Bekijk op Street View
Download DWG/DXF/Excel
wUzZSHfiad4sQl Upgrade naar KadastraleKaart Pro
HioLk2ob7xEUpgrade naar KadastraleKaart Pro
OagtNn02bpsLg 3p VM 9Upgrade naar KadastraleKaart Pro
l44fIhu8Q Upgrade naar KadastraleKaart Pro
AUUKiJ0VUpgrade naar KadastraleKaart Pro
TxSWF3jaR wZiUpgrade naar KadastraleKaart Pro
0gcmoEA6b04LgRdaH1vfUpgrade naar KadastraleKaart Pro
zQ RbiKjKDUpgrade naar KadastraleKaart Pro
YAbMuFhZVcW4KrE6iOUpgrade naar KadastraleKaart Pro
Wm3 fl f Upgrade naar KadastraleKaart Pro
07/01/2009

Percelen
Gebruik de zoekbalk of klik op een perceel om informatie over het perceel te bekijken.