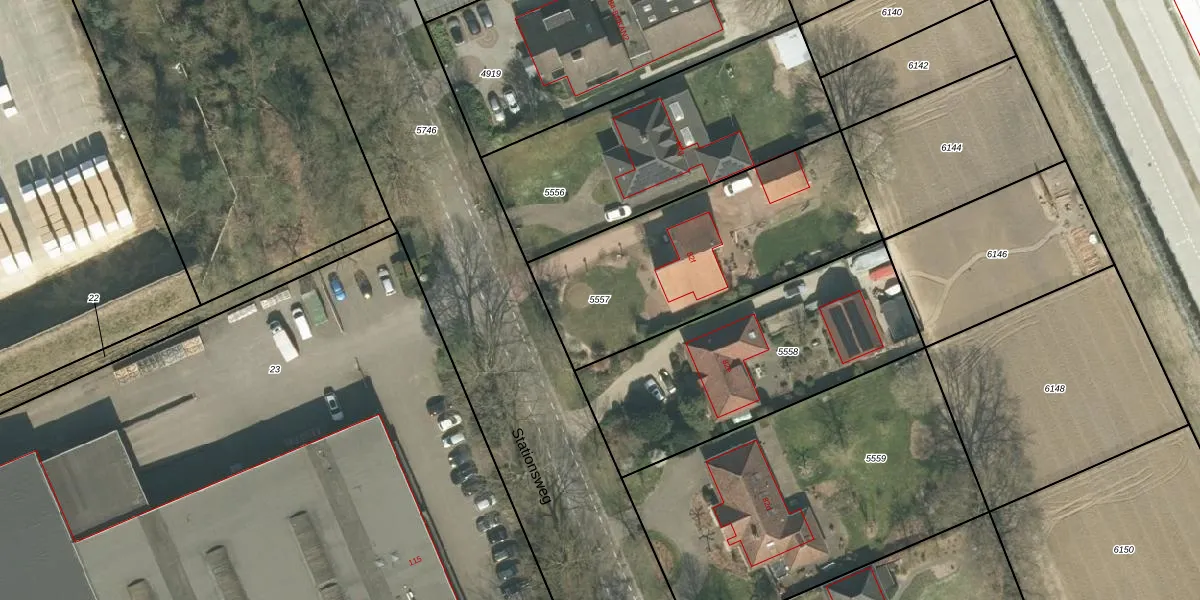
Perceel: MLK00-A-5557
KadastraleKaart.com kan meer dan je denktOntdek meer ›
Filter op bestemming 50+ datasets Eigendomsdata in één klik Percelen CRM
1.105 m2 - 152 m
Eigenaar opvragen
MLK00-A-5557 (Melick en Herkenbosch)
- 6075 CD
6OgpukVA6XBHyb63zJPhH65 OcgNOUpgrade naar KadastraleKaart Pro
Bekijk op Street View
Download DWG/DXF/Excel
5xnkoLoHcUpgrade naar KadastraleKaart Pro
z OKjrWm3P7OXZPh0Upgrade naar KadastraleKaart Pro
2zvgA eck25tEpKnUpgrade naar KadastraleKaart Pro
5klWMcjBgsSyCgcIAl5tUUpgrade naar KadastraleKaart Pro
VP g DsIsGXHlUPn5mCH7W Upgrade naar KadastraleKaart Pro
YPOd6ja4fhx 1VF4SuUpgrade naar KadastraleKaart Pro
1KXAeXwHAPUpgrade naar KadastraleKaart Pro
DOB TW8yRyIrC 4B6Upgrade naar KadastraleKaart Pro
Gc 5fqVC geenZsUpgrade naar KadastraleKaart Pro
LmdYaiqvsUpgrade naar KadastraleKaart Pro
04/03/2009

Percelen
Gebruik de zoekbalk of klik op een perceel om informatie over het perceel te bekijken.