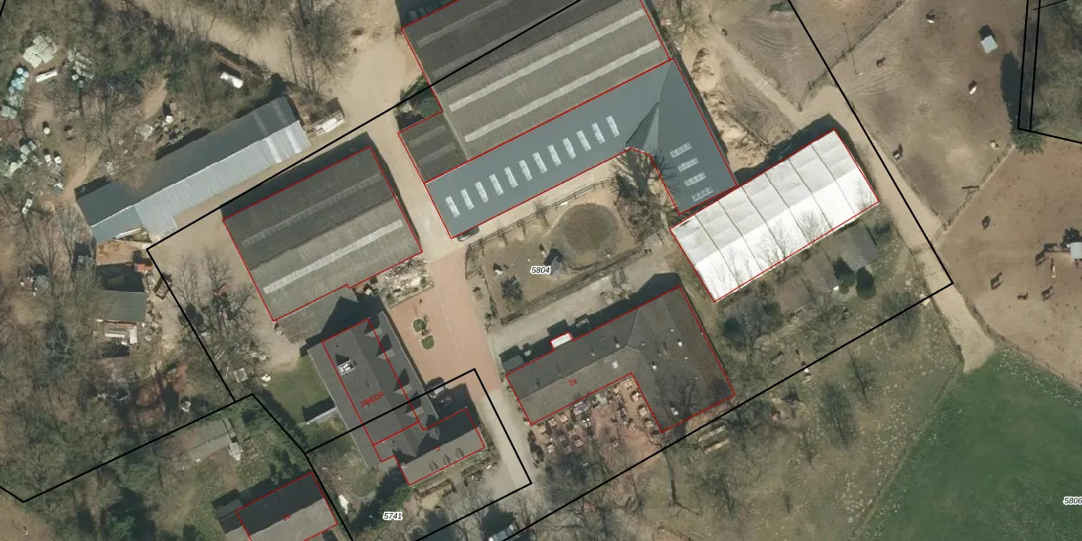
Perceel: MLK00-A-5804
KadastraleKaart.com kan meer dan je denktOntdek meer ›
Filter op bestemming 50+ datasets Eigendomsdata in één klik Percelen CRM
8.968 m2 - 488 m
Eigenaar opvragen
MLK00-A-5804 (Melick en Herkenbosch)
- 6075 NE
z zHFMi08C0dDh2Lj IsikRg Upgrade naar KadastraleKaart Pro
Bekijk op Street View
Download DWG/DXF/Excel
gMyl 1izr1i oUpgrade naar KadastraleKaart Pro
uq1Bg4zF0w8g DUpgrade naar KadastraleKaart Pro
lzVG0T1MZUpgrade naar KadastraleKaart Pro
rdUsG cWlMdrJwbuQyddK9Upgrade naar KadastraleKaart Pro
NWVC5 rSBSQcya87pUpgrade naar KadastraleKaart Pro
3 2GgseUL3Upgrade naar KadastraleKaart Pro
LwEqtVqSlmCPi m6Upgrade naar KadastraleKaart Pro
GNueV1NnhEYUpgrade naar KadastraleKaart Pro
DZUdJFiC3D03Qdl1Upgrade naar KadastraleKaart Pro
kcXH3KICM8 M9ZBio kHKiYUpgrade naar KadastraleKaart Pro
10/04/2007

Percelen
Gebruik de zoekbalk of klik op een perceel om informatie over het perceel te bekijken.