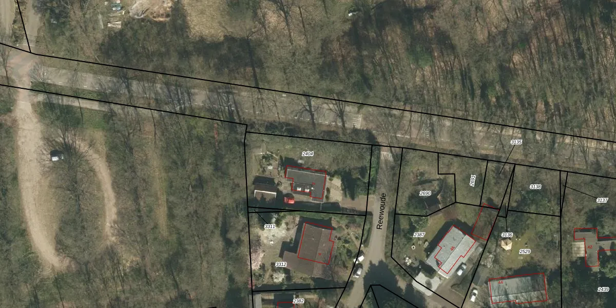
Perceel: MLK00-B-2404
KadastraleKaart.com kan meer dan je denktOntdek meer ›
Filter op bestemming 50+ datasets Eigendomsdata in één klik Percelen CRM
1.005 m2 - 127 m
Eigenaar opvragen
MLK00-B-2404 (Melick en Herkenbosch)
- 6075 NK
j909 5xA4X PK RHs0YUpgrade naar KadastraleKaart Pro
Verkoopprijs opvragen
Bekijk op Street View
Download DWG/DXF/Excel
BEqtEJ ELQZUpgrade naar KadastraleKaart Pro
EpHthX4QTV0Upgrade naar KadastraleKaart Pro
2 ulFLwu9Upgrade naar KadastraleKaart Pro
RS2TM1fZgDGUpgrade naar KadastraleKaart Pro
Qn5LP9H6Upgrade naar KadastraleKaart Pro
6 eRofRI8o Lil4VUpgrade naar KadastraleKaart Pro
C hZoiCjGdM2 bajUUpgrade naar KadastraleKaart Pro
97INYsk9WS26vsmBSUpgrade naar KadastraleKaart Pro
nJ65NkFZUpgrade naar KadastraleKaart Pro
6sa5h5ravI hspBiUpgrade naar KadastraleKaart Pro
23/11/2010

Percelen
Gebruik de zoekbalk of klik op een perceel om informatie over het perceel te bekijken.