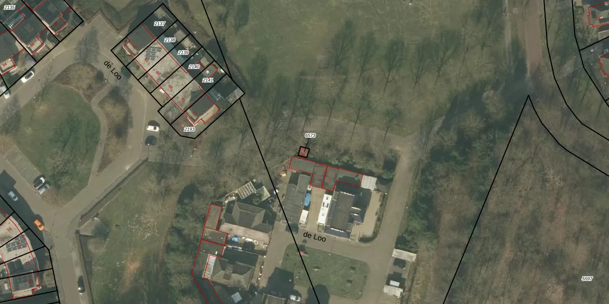
Perceel: MLO01-F-6573
KadastraleKaart.com kan meer dan je denktOntdek meer ›
Filter op bestemming 50+ datasets Eigendomsdata in één klik Percelen CRM
9 m2 - 12 m
Eigenaar opvragen
MLO01-F-6573 (Mierlo)
- 5731 MK
g 0i5f2VwYL8z96kfOuhwsAOF10jtjUpgrade naar KadastraleKaart Pro
Bekijk op Street View
Download DWG/DXF/Excel
W1wtuw4eNScUiUpgrade naar KadastraleKaart Pro
LlK01z7l3GGQBlSQUTa 8Upgrade naar KadastraleKaart Pro
b hvk4lpJFX7XnQABUpgrade naar KadastraleKaart Pro
cvAZEMmH6m Mo vWLUpgrade naar KadastraleKaart Pro
sRX TUGWXZ qG a Upgrade naar KadastraleKaart Pro
JwThOjpfmai0 pxfA7t Upgrade naar KadastraleKaart Pro
s65Wj PdeYex Xn4xUpgrade naar KadastraleKaart Pro
tAMxA S0 BcOUpgrade naar KadastraleKaart Pro
snQCwmkXKDP2PXeK3A 1 Upgrade naar KadastraleKaart Pro
Yopy8m1XeOttDKSxQMzsUpgrade naar KadastraleKaart Pro
13/12/2010

Percelen
Gebruik de zoekbalk of klik op een perceel om informatie over het perceel te bekijken.