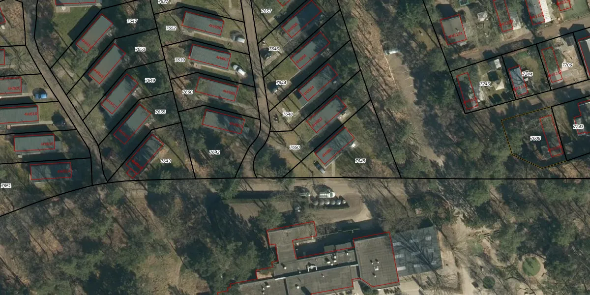
Perceel: MLO01-F-7650
KadastraleKaart.com kan meer dan je denktOntdek meer ›
Filter op bestemming 50+ datasets Eigendomsdata in één klik Percelen CRM
500 m2 - 115 m
Eigenaar opvragen
MLO01-F-7650 (Mierlo)
- 5731 XN
4Lvr4iroJIHdl ENUNAaYaUUpgrade naar KadastraleKaart Pro
Verkoopprijs opvragen
Bekijk op Street View
Download DWG/DXF/Excel
6ZTnqCYCJaf6UWnU0NTA1Upgrade naar KadastraleKaart Pro
MKFe82Q IQiK lZgr3NWUpgrade naar KadastraleKaart Pro
HrEXo VhWnTLr Pl6ifY8lUpgrade naar KadastraleKaart Pro
jNUNNGQ7UabeUpgrade naar KadastraleKaart Pro
yDNTndI1HyCHUpgrade naar KadastraleKaart Pro
e3npnDstaC 7Yo38NeLR8Upgrade naar KadastraleKaart Pro
9wUcXRU RO 7pZp s8 PJ2Upgrade naar KadastraleKaart Pro
LTMUIndVUpgrade naar KadastraleKaart Pro
uFEkcEn7Q3r 9zUpgrade naar KadastraleKaart Pro
iElUzty Upgrade naar KadastraleKaart Pro
29/06/2021

Percelen
Gebruik de zoekbalk of klik op een perceel om informatie over het perceel te bekijken.