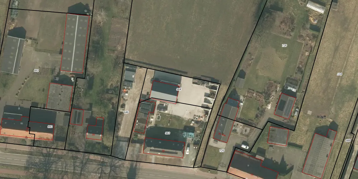
Perceel: MLO01-K-964
KadastraleKaart.com kan meer dan je denktOntdek meer ›
Filter op bestemming 50+ datasets Eigendomsdata in één klik Percelen CRM
Geen adressen bij dit perceel
633 m2 - 118 m
Eigenaar opvragen
MLO01-K-964 (Mierlo)
- Geen postcode aanwezig
4Kz AdjQNGn7dTY zdeTR e BsMEBiUpgrade naar KadastraleKaart Pro
Bekijk op Street View
Download DWG/DXF/Excel
iyNU Bxa4QyjCUpgrade naar KadastraleKaart Pro
eA5Td9G tWPG CoL nEggwUpgrade naar KadastraleKaart Pro
i bAo3k OSAub47yxxUpgrade naar KadastraleKaart Pro
28TLC 18TeKbpPFgUpgrade naar KadastraleKaart Pro
dk9vX0meib0Upgrade naar KadastraleKaart Pro
wm d JLq0Upgrade naar KadastraleKaart Pro
LJgMOfEJFGlUJ14bYIhGxUpgrade naar KadastraleKaart Pro
KTnu 5T6ZXwil1Upgrade naar KadastraleKaart Pro
mf7d EXNpyFK8dSRTUpgrade naar KadastraleKaart Pro
oexv2Z fI KOhOUpgrade naar KadastraleKaart Pro
05/05/2023

Percelen
Gebruik de zoekbalk of klik op een perceel om informatie over het perceel te bekijken.