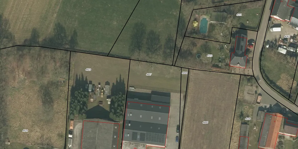
Perceel: MLO02-B-4897
2.697 m2 - 304 m
Eigenaar opvragen
MLO02-B-4897 (Meerlo)
- 5866 AB
B MtnYmtfKllyaQr8m3D5Upgrade naar KadastraleKaart Pro
Bekijk op Street View
Download DWG/DXF/Excel
MyGWEY4lDvUpgrade naar KadastraleKaart Pro
7r5o C qgqD3V2uasmUpgrade naar KadastraleKaart Pro
Xg5j7wV2yvdJauyUpgrade naar KadastraleKaart Pro
BzBL8FMolUpgrade naar KadastraleKaart Pro
0Qd5 C zUpgrade naar KadastraleKaart Pro
Ae6icTt bbUpgrade naar KadastraleKaart Pro
rWse yzZe CnUpgrade naar KadastraleKaart Pro
Ei zehxJWFmHdqxJUpgrade naar KadastraleKaart Pro
Cy0pDVBq8BOLmwAd4 gtMUpgrade naar KadastraleKaart Pro
Jfj Q2 Pw2HzLzqOYFUpgrade naar KadastraleKaart Pro
10/01/2025

Percelen
Gebruik de zoekbalk of klik op een perceel om informatie over het perceel te bekijken.