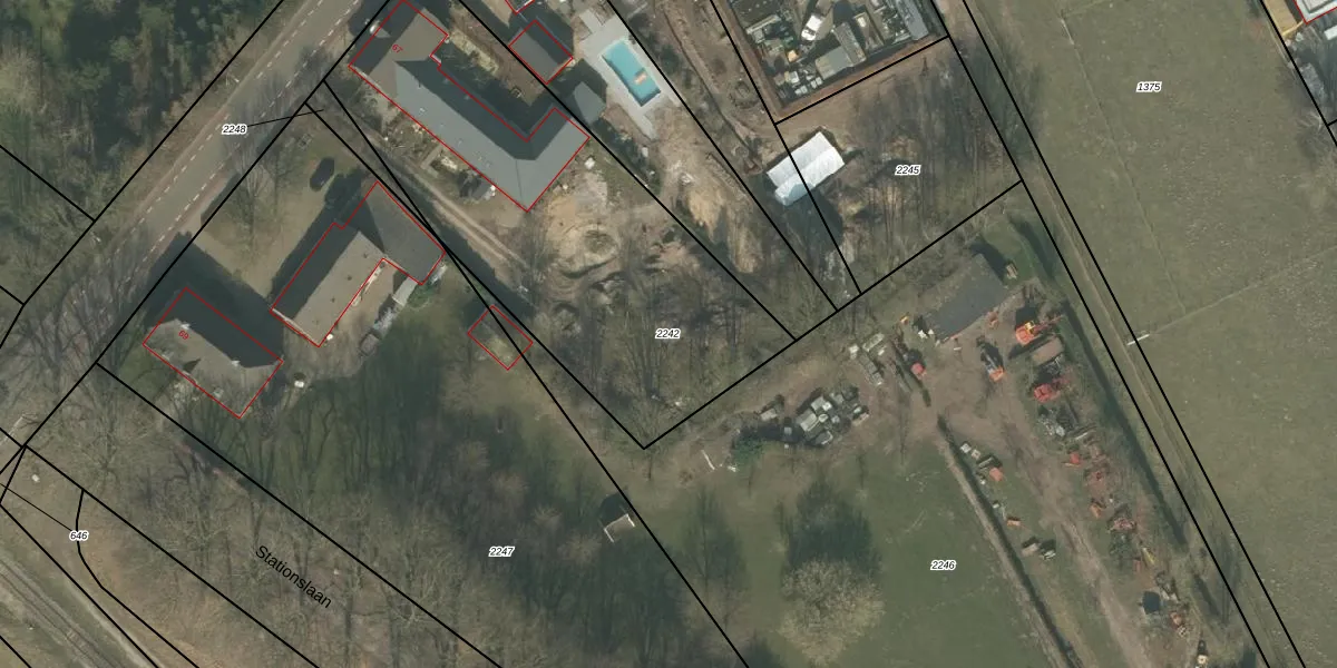
Perceel: MLO02-C-2242
KadastraleKaart.com kan meer dan je denktOntdek meer ›
Filter op bestemming 50+ datasets Eigendomsdata in één klik Percelen CRM
2.135 m2 - 204 m
Eigenaar opvragen
MLO02-C-2242 (Meerlo)
- 5865 AG
n3Nxtn0IRo6 9doU I ZL4zRbd2GUpgrade naar KadastraleKaart Pro
Verkoopprijs opvragen
Bekijk op Street View
Download DWG/DXF/Excel
uo6zPy5ur fCsCnUpgrade naar KadastraleKaart Pro
YvjgQnKlqtXgwUdOomgwUpgrade naar KadastraleKaart Pro
ONL eiLvw eUpgrade naar KadastraleKaart Pro
RJbEDVvdktdUpgrade naar KadastraleKaart Pro
VxC5GxiTvoXNUteS MFtPxGUpgrade naar KadastraleKaart Pro
blttJQ ccYUpgrade naar KadastraleKaart Pro
ZJXTs epm k M84AQUpgrade naar KadastraleKaart Pro
H1nW 0hd ojw vK5rL4rQdBUpgrade naar KadastraleKaart Pro
g5DKksapOgW3sUpgrade naar KadastraleKaart Pro
DYMUk YY3f4jSm2v0 xUpgrade naar KadastraleKaart Pro
18/08/2011

Percelen
Gebruik de zoekbalk of klik op een perceel om informatie over het perceel te bekijken.