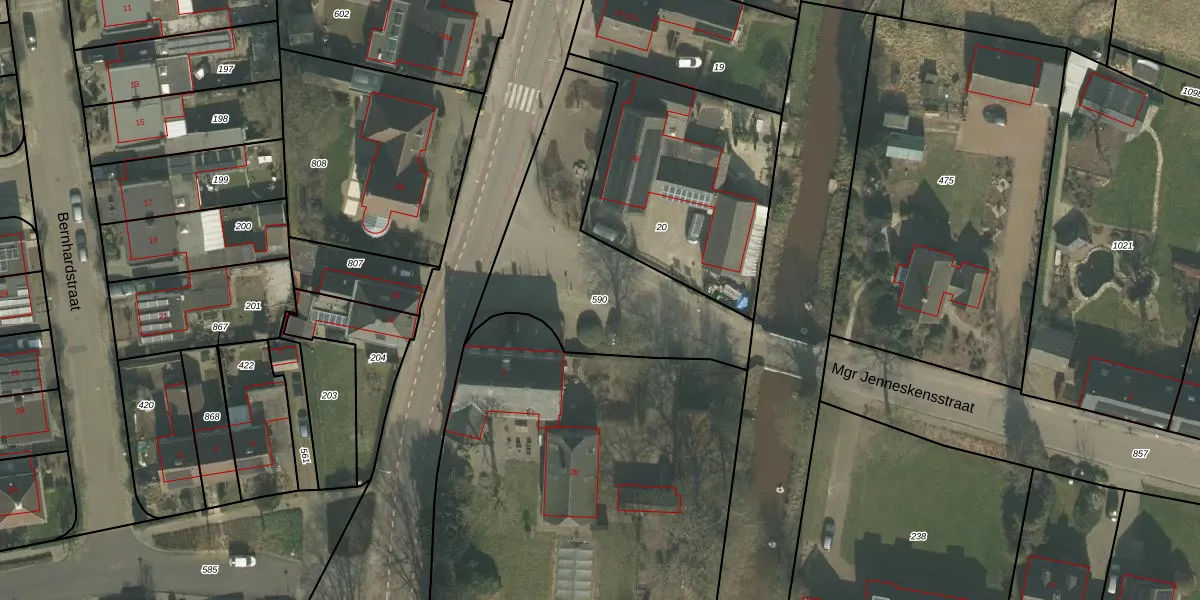
Perceel: MLO02-G-590
KadastraleKaart.com kan meer dan je denktOntdek meer ›
Filter op bestemming 50+ datasets Eigendomsdata in één klik Percelen CRM
Geen adressen bij dit perceel
930 m2 - 178 m
Eigenaar opvragen
MLO02-G-590 (Meerlo)
- Geen postcode aanwezig
KZUkjMvkThmo7VihUpgrade naar KadastraleKaart Pro
Bekijk op Street View
Download DWG/DXF/Excel
mheW0SxLZfN3sw Upgrade naar KadastraleKaart Pro
QICpV04b3vKa7O7q4Upgrade naar KadastraleKaart Pro
ZC4060owHsOSo4 4hUpgrade naar KadastraleKaart Pro
z VTwDiA20CUwMrN9Upgrade naar KadastraleKaart Pro
wJiCWcuab3YY26mpoZP Upgrade naar KadastraleKaart Pro
wFY WTZr YEALurQlcoL Upgrade naar KadastraleKaart Pro
NNpC8nW TY4Q0gUpgrade naar KadastraleKaart Pro
RaGfdNb0kub3YmM Q2OWyUpgrade naar KadastraleKaart Pro
y7YlnH 15pClbiaCEfNUpgrade naar KadastraleKaart Pro
WFUuyGoLUpgrade naar KadastraleKaart Pro
03/10/2008

Percelen
Gebruik de zoekbalk of klik op een perceel om informatie over het perceel te bekijken.