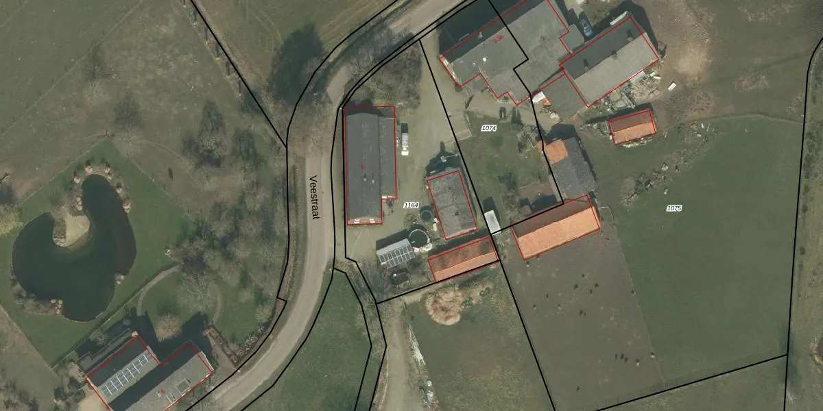
Perceel: MLO02-H-1164
KadastraleKaart.com kan meer dan je denktOntdek meer ›
Filter op bestemming 50+ datasets Eigendomsdata in één klik Percelen CRM
1.565 m2 - 165 m
Eigenaar opvragen
MLO02-H-1164 (Meerlo)
- 5864 CD
wb1MwfpkEnIQt v7Dw 4AocUpgrade naar KadastraleKaart Pro
Verkoopprijs opvragen
Bekijk op Street View
Download DWG/DXF/Excel
EABnUyKfNdy Upgrade naar KadastraleKaart Pro
7 E9kqS9Upgrade naar KadastraleKaart Pro
LfP2jMLB9rEUpgrade naar KadastraleKaart Pro
4bssLpNIQ EOEgTwYn7opL Upgrade naar KadastraleKaart Pro
wRECW8RNU8VmUpgrade naar KadastraleKaart Pro
YOu16smBeA0zGiaMCzcZuUpgrade naar KadastraleKaart Pro
175H N moA3UaUpgrade naar KadastraleKaart Pro
q7eGpsE5En9YH8fbRKCtY2Upgrade naar KadastraleKaart Pro
xSo 0VtUgU38wQkX3kvYUpgrade naar KadastraleKaart Pro
N7NPbOHl9D2k9Upgrade naar KadastraleKaart Pro
13/04/2021

Percelen
Gebruik de zoekbalk of klik op een perceel om informatie over het perceel te bekijken.