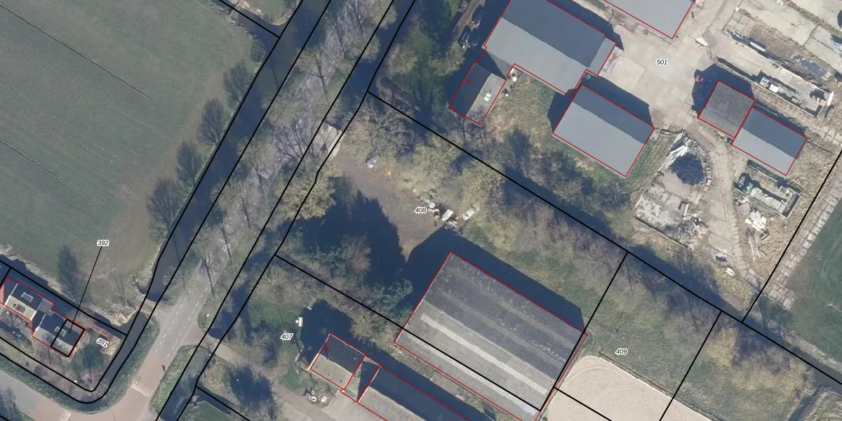
Perceel: MNK00-D-408
KadastraleKaart.com kan meer dan je denktOntdek meer ›
Filter op bestemming 50+ datasets Eigendomsdata in één klik Percelen CRM
Geen adressen bij dit perceel
3.240 m2 - 234 m
Eigenaar opvragen
MNK00-D-408 (Monnickendam)
- Geen postcode aanwezig
WPR lk1xDJKCLM7O Upgrade naar KadastraleKaart Pro
Bekijk op Street View
Download DWG/DXF/Excel
a7VexVu UpnsQJya0s7uUpgrade naar KadastraleKaart Pro
pz Cz7VFsmAUpgrade naar KadastraleKaart Pro
xaA CFtq WUubzYRu98DUpgrade naar KadastraleKaart Pro
OxkAnTSdfUAUpgrade naar KadastraleKaart Pro
Vnk xYjR Upgrade naar KadastraleKaart Pro
4JfCezwimAoC Ffzme5Upgrade naar KadastraleKaart Pro
LV j 4n5Upgrade naar KadastraleKaart Pro
J4 l4bG85Upgrade naar KadastraleKaart Pro
qlk9ciI4ybqUpgrade naar KadastraleKaart Pro
YG 1O2abXgIukNuWHeYd8Upgrade naar KadastraleKaart Pro
08/01/2001

Percelen
Gebruik de zoekbalk of klik op een perceel om informatie over het perceel te bekijken.