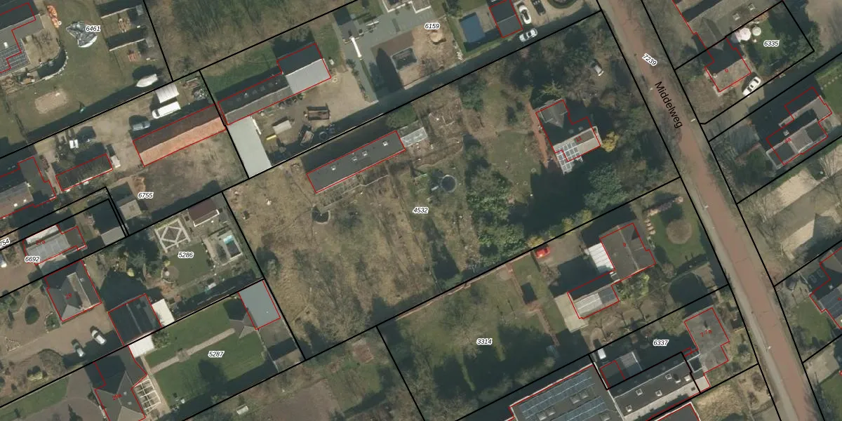
Perceel: MOO00-A-4532
KadastraleKaart.com kan meer dan je denktOntdek meer ›
Filter op bestemming 50+ datasets Eigendomsdata in één klik Percelen CRM
4.385 m2 - 288 m
Eigenaar opvragen
MOO00-A-4532 (Mook en Middelaar)
- 6584 AE
b1HrGRc XQAzok2s milkUpgrade naar KadastraleKaart Pro
Verkoopprijs opvragen
Bekijk op Street View
Download DWG/DXF/Excel
JtqpcsJF422xqiKUpgrade naar KadastraleKaart Pro
lnLSTh46SDt13byUpgrade naar KadastraleKaart Pro
NgGXLlTdd1is fFbEjUUpgrade naar KadastraleKaart Pro
V RRth4HAWUpgrade naar KadastraleKaart Pro
i985RlcG 0G8 sdUpgrade naar KadastraleKaart Pro
frfI5TeaEFZMqcJM06IOV 0Upgrade naar KadastraleKaart Pro
jIX8dBHu2 XirZefohW vLqUpgrade naar KadastraleKaart Pro
hX7MrEEbbFG4 zI7lDUpgrade naar KadastraleKaart Pro
ynQGl30fId8qcZtMUpgrade naar KadastraleKaart Pro
O uUawzkv IeuAQunp Upgrade naar KadastraleKaart Pro
18/06/2009

Percelen
Gebruik de zoekbalk of klik op een perceel om informatie over het perceel te bekijken.