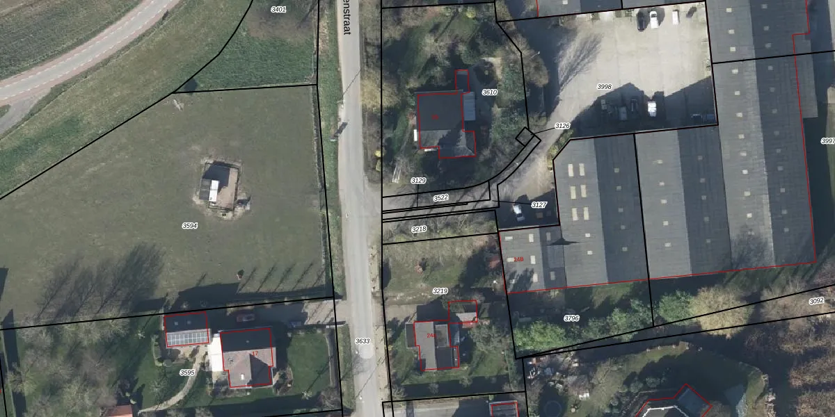
Perceel: MRK01-B-3129
KadastraleKaart.com kan meer dan je denktOntdek meer ›
Filter op bestemming 50+ datasets Eigendomsdata in één klik Percelen CRM
Geen adressen bij dit perceel
20 m2 - 42 m
Eigenaar opvragen
MRK01-B-3129 (Maurik)
- Geen postcode aanwezig
tzfPvWYoFCqfexhlk6La917l Upgrade naar KadastraleKaart Pro
Bekijk op Street View
Download DWG/DXF/Excel
skf 8UJcHgZaUpgrade naar KadastraleKaart Pro
rjwYUiGOP aPffMpUpgrade naar KadastraleKaart Pro
xAklLH NJMurbji2MZnqUpgrade naar KadastraleKaart Pro
YooxHu PN9iUpgrade naar KadastraleKaart Pro
nGmhkemBbyGCRQTw099 KUpgrade naar KadastraleKaart Pro
qXfoOHhppMPK9BzqXl0N5BUpgrade naar KadastraleKaart Pro
gkA9jhley DPJiI 5GMUpgrade naar KadastraleKaart Pro
irrd9ji3me Upgrade naar KadastraleKaart Pro
2SBz7cW0GUpgrade naar KadastraleKaart Pro
pRHtwtlLqwRMiTERgb FlUpgrade naar KadastraleKaart Pro
04/12/2000

Percelen
Gebruik de zoekbalk of klik op een perceel om informatie over het perceel te bekijken.