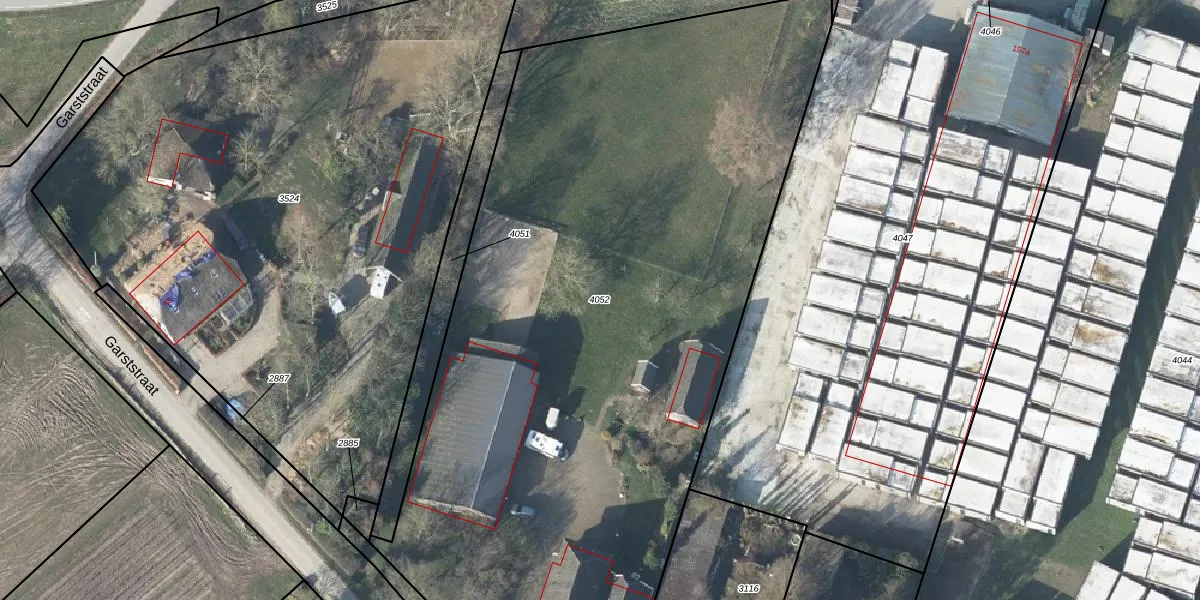
Perceel: MRK01-B-4052
KadastraleKaart.com kan meer dan je denktOntdek meer ›
Filter op bestemming 50+ datasets Eigendomsdata in één klik Percelen CRM
5.446 m2 - 341 m
Eigenaar opvragen
MRK01-B-4052 (Maurik)
- 4021 AD
5IcqveOa2g4NdBwHOYDHjgXOAvDFH 3Upgrade naar KadastraleKaart Pro
Bekijk op Street View
Download DWG/DXF/Excel
H7 MYodUpgrade naar KadastraleKaart Pro
z zK25Tyo8Upgrade naar KadastraleKaart Pro
9dQl VSKtOIvw9 GHUpgrade naar KadastraleKaart Pro
VCE9 RIlHGydFOtV3PkPnUpgrade naar KadastraleKaart Pro
KVU rMqCBn gUpgrade naar KadastraleKaart Pro
xG9X1LXOz5vcQaSQUpgrade naar KadastraleKaart Pro
YWflOyjBFcFdUpgrade naar KadastraleKaart Pro
1ti296DG4Upgrade naar KadastraleKaart Pro
T9h5Qyb kPJUpgrade naar KadastraleKaart Pro
0WuKJRGQ cyZ u6 Upgrade naar KadastraleKaart Pro
13/03/2018

Percelen
Gebruik de zoekbalk of klik op een perceel om informatie over het perceel te bekijken.