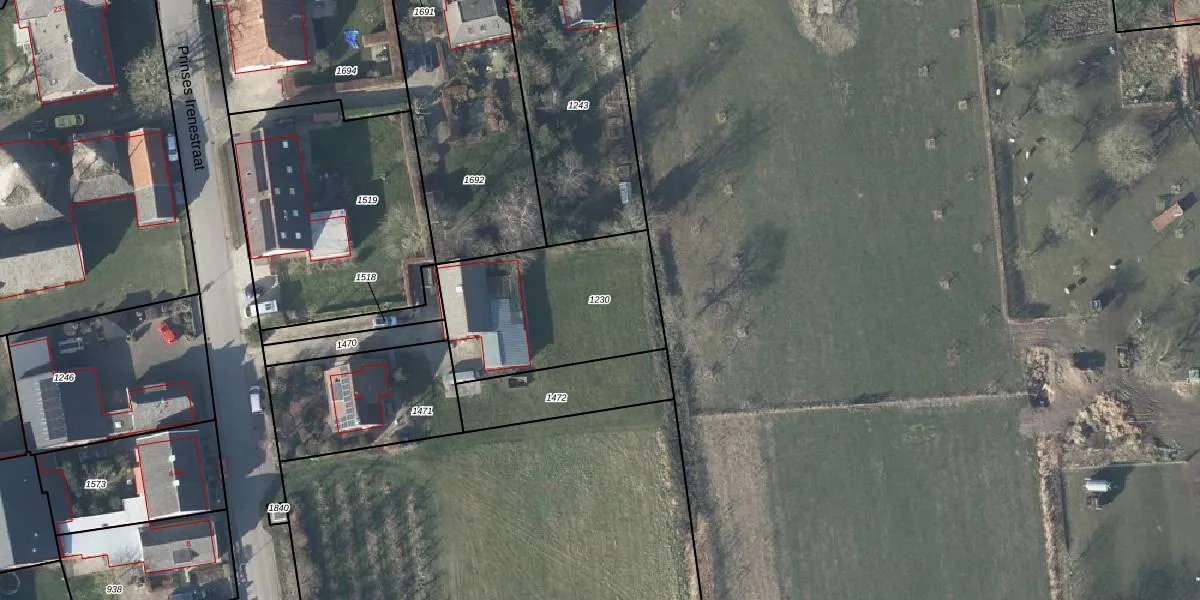
Perceel: MRK01-I-1230
KadastraleKaart.com kan meer dan je denktOntdek meer ›
Filter op bestemming 50+ datasets Eigendomsdata in één klik Percelen CRM
Geen adressen bij dit perceel
750 m2 - 112 m
Eigenaar opvragen
MRK01-I-1230 (Maurik)
- Geen postcode aanwezig
MrfeRm61W3I8iMWjOYQGqHTlLCg0iGUpgrade naar KadastraleKaart Pro
Bekijk op Street View
Download DWG/DXF/Excel
yb5D OEklYLWU17Upgrade naar KadastraleKaart Pro
hb6hgF3TAm9ck 1BmlNqUpgrade naar KadastraleKaart Pro
Bxy2OvnJMy17Mmy6XZKUpgrade naar KadastraleKaart Pro
Gw2NJVu0XYO84ZLDta0Upgrade naar KadastraleKaart Pro
JrvpeGDSUG5P9hT Eyl2MUpgrade naar KadastraleKaart Pro
7FTYOU6 FgSHUpgrade naar KadastraleKaart Pro
D v9yDD3qcdvzbEpJJRXtkbUpgrade naar KadastraleKaart Pro
cajljxDJ0Bq FkCc3fxbKUpgrade naar KadastraleKaart Pro
QNi2nilWKHc5NEwpUpgrade naar KadastraleKaart Pro
Rpk BjoSJBE8kEVUpgrade naar KadastraleKaart Pro
04/03/2003

Percelen
Gebruik de zoekbalk of klik op een perceel om informatie over het perceel te bekijken.