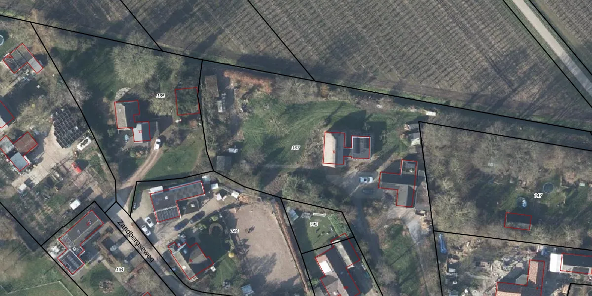
Perceel: MRK01-M-167
KadastraleKaart.com kan meer dan je denktOntdek meer ›
Filter op bestemming 50+ datasets Eigendomsdata in één klik Percelen CRM
4.320 m2 - 414 m
Eigenaar opvragen
MRK01-M-167 (Maurik)
- 4023 CC
sDjBPnSqbY iP9LdM0Y lEUpgrade naar KadastraleKaart Pro
Verkoopprijs opvragen
Bekijk op Street View
Download DWG/DXF/Excel
oQa 5B ntUpgrade naar KadastraleKaart Pro
8nGhhsxA sn5J5jKfJqsUpgrade naar KadastraleKaart Pro
FbnXUc X404nSthWW uUpgrade naar KadastraleKaart Pro
0TeVAyZZkXUpgrade naar KadastraleKaart Pro
aQCw TdKYe8L7a4dKwcs RUpgrade naar KadastraleKaart Pro
cB7 9u8Ty6AnnvI0 ua5OiIUpgrade naar KadastraleKaart Pro
vFQYa3qezxa 7iqfh3AUpgrade naar KadastraleKaart Pro
P0nGaP5sVcaOUpgrade naar KadastraleKaart Pro
xOJo0YnF4uG pOtOy Upgrade naar KadastraleKaart Pro
Nu07bhVwPNJMUpgrade naar KadastraleKaart Pro
04/04/2001

Percelen
Gebruik de zoekbalk of klik op een perceel om informatie over het perceel te bekijken.