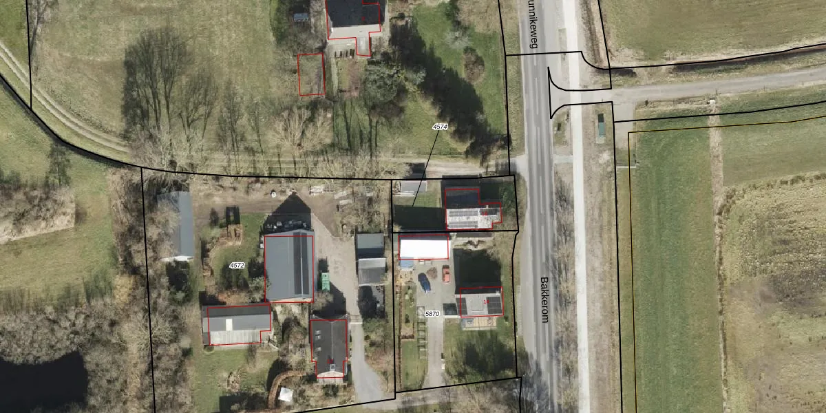
Perceel: MRM01-A-4574
KadastraleKaart.com kan meer dan je denktOntdek meer ›
Filter op bestemming 50+ datasets Eigendomsdata in één klik Percelen CRM
410 m2 - 87 m
Eigenaar opvragen
MRM01-A-4574 (Marum)
- 9362 VA
gFkvGgIhW6ANnSy YoPXuuRuUziEf8Upgrade naar KadastraleKaart Pro
Verkoopprijs opvragen
Bekijk op Street View
Download DWG/DXF/Excel
e aOW5C0sAyA XSCUAaTUpgrade naar KadastraleKaart Pro
iBBIPDmyBUpgrade naar KadastraleKaart Pro
mwu q44 uDUpgrade naar KadastraleKaart Pro
2kAH3uTD 3fd17 tN xUpgrade naar KadastraleKaart Pro
1adTOLpPUpgrade naar KadastraleKaart Pro
vwL br5IsJ ipMKUpgrade naar KadastraleKaart Pro
z8Yg2DGoUqAGS0A3 bGzWBUpgrade naar KadastraleKaart Pro
j34Jj8EUphFRK329cHUpgrade naar KadastraleKaart Pro
ZfjmUd0hFbUpgrade naar KadastraleKaart Pro
y0xda kqXpy u Upgrade naar KadastraleKaart Pro
06/11/2001

Percelen
Gebruik de zoekbalk of klik op een perceel om informatie over het perceel te bekijken.