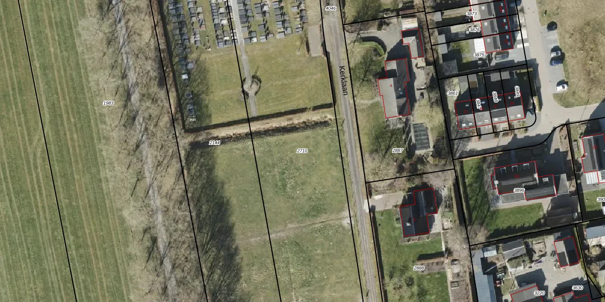
Perceel: MRM01-B-2710
KadastraleKaart.com kan meer dan je denktOntdek meer ›
Filter op bestemming 50+ datasets Eigendomsdata in één klik Percelen CRM
Geen adressen bij dit perceel
5.010 m2 - 411 m
Eigenaar opvragen
MRM01-B-2710 (Marum)
- Geen postcode aanwezig
xQX8SOnMh0UpmU 7BRoX IyE MCAUpgrade naar KadastraleKaart Pro
Bekijk op Street View
Download DWG/DXF/Excel
oBC7Tp1yuk Q4ZVIsUpgrade naar KadastraleKaart Pro
xz giuwYzpX5x8G1al5Upgrade naar KadastraleKaart Pro
czbrFnnlgfFoEuIvAWp0OgHUpgrade naar KadastraleKaart Pro
ZPNINbv1cGIEyB6XjUpgrade naar KadastraleKaart Pro
wEzlS8 iezvfEPUpgrade naar KadastraleKaart Pro
UkTYzY cw0RzUpgrade naar KadastraleKaart Pro
3aQt8UDgnieHq0ox 9RUpgrade naar KadastraleKaart Pro
7ty 2il4ZSd1dUpgrade naar KadastraleKaart Pro
fw65 42zNc elUpgrade naar KadastraleKaart Pro
y i66mTWKlN nd0FvS yUpgrade naar KadastraleKaart Pro
26/01/2010

Percelen
Gebruik de zoekbalk of klik op een perceel om informatie over het perceel te bekijken.