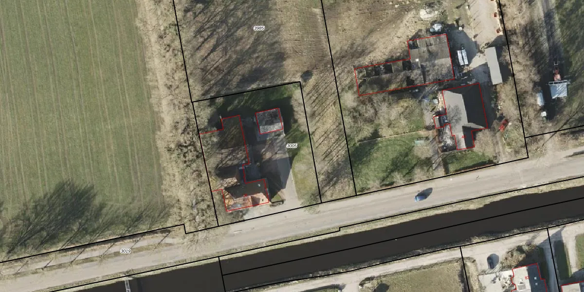
Perceel: MRM01-B-3005
KadastraleKaart.com kan meer dan je denktOntdek meer ›
Filter op bestemming 50+ datasets Eigendomsdata in één klik Percelen CRM
1.635 m2 - 159 m
Eigenaar opvragen
MRM01-B-3005 (Marum)
- 9366 TC
SoOqCjw3huLvS VhxZQm5N88x1qON5Upgrade naar KadastraleKaart Pro
Bekijk op Street View
Download DWG/DXF/Excel
5naj 4uX5GGCUpgrade naar KadastraleKaart Pro
h zaJGCLUpgrade naar KadastraleKaart Pro
FCx9W4MBVbXt3Dnm8U3Upgrade naar KadastraleKaart Pro
PX VNUGU1 yUpgrade naar KadastraleKaart Pro
IpajrNALpUpgrade naar KadastraleKaart Pro
Qyt jKx Au7FikKUpgrade naar KadastraleKaart Pro
wRd19HmNf yBlbUpgrade naar KadastraleKaart Pro
Iz 9rLKtrF3 DW0yqn5Cq5fUpgrade naar KadastraleKaart Pro
fARERk3yF5fUpgrade naar KadastraleKaart Pro
yfiC H0TYUpgrade naar KadastraleKaart Pro
19/09/2007

Percelen
Gebruik de zoekbalk of klik op een perceel om informatie over het perceel te bekijken.