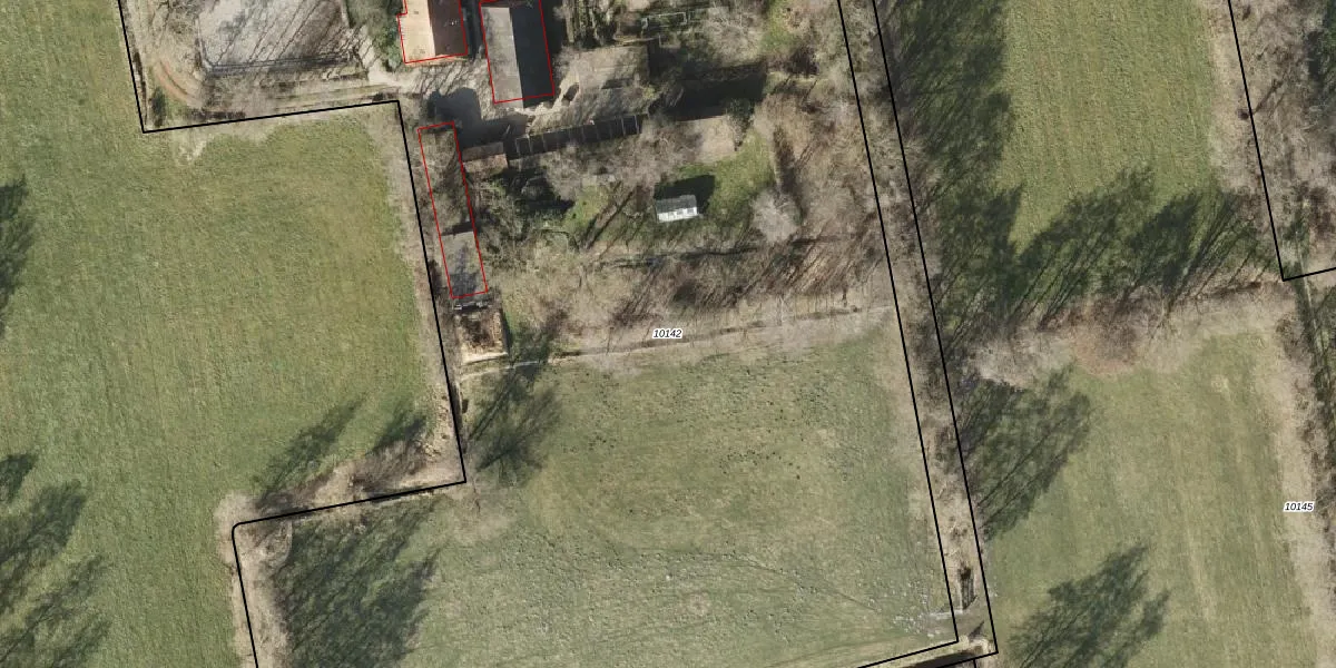
Perceel: MRM01-C-10142
KadastraleKaart.com kan meer dan je denktOntdek meer ›
Filter op bestemming 50+ datasets Eigendomsdata in één klik Percelen CRM
Geen adressen bij dit perceel
14.788 m2 - 754 m
Eigenaar opvragen
MRM01-C-10142 (Marum)
- Geen postcode aanwezig
MsUZbzrOPNf FQRhmDC P oWKtROyUpgrade naar KadastraleKaart Pro
Bekijk op Street View
Download DWG/DXF/Excel
jwljhf9BGUpgrade naar KadastraleKaart Pro
GWqZpEC0y AxXtQomNyk0PUpgrade naar KadastraleKaart Pro
6hD ax5 Upgrade naar KadastraleKaart Pro
294hG0UrAV h9 Ds7IUpgrade naar KadastraleKaart Pro
JTrIPswQw fiJsoujtOUpgrade naar KadastraleKaart Pro
kGUaNC07VpUnTf92 dO7YZUpgrade naar KadastraleKaart Pro
gfYqlXSLOpXvcQ 87wQcyEUpgrade naar KadastraleKaart Pro
jH04lisXmkxdT Upgrade naar KadastraleKaart Pro
LRvPR8OuifDKBkWFFUpgrade naar KadastraleKaart Pro
ZcRt UD NUvUpgrade naar KadastraleKaart Pro
23/07/2009

Percelen
Gebruik de zoekbalk of klik op een perceel om informatie over het perceel te bekijken.