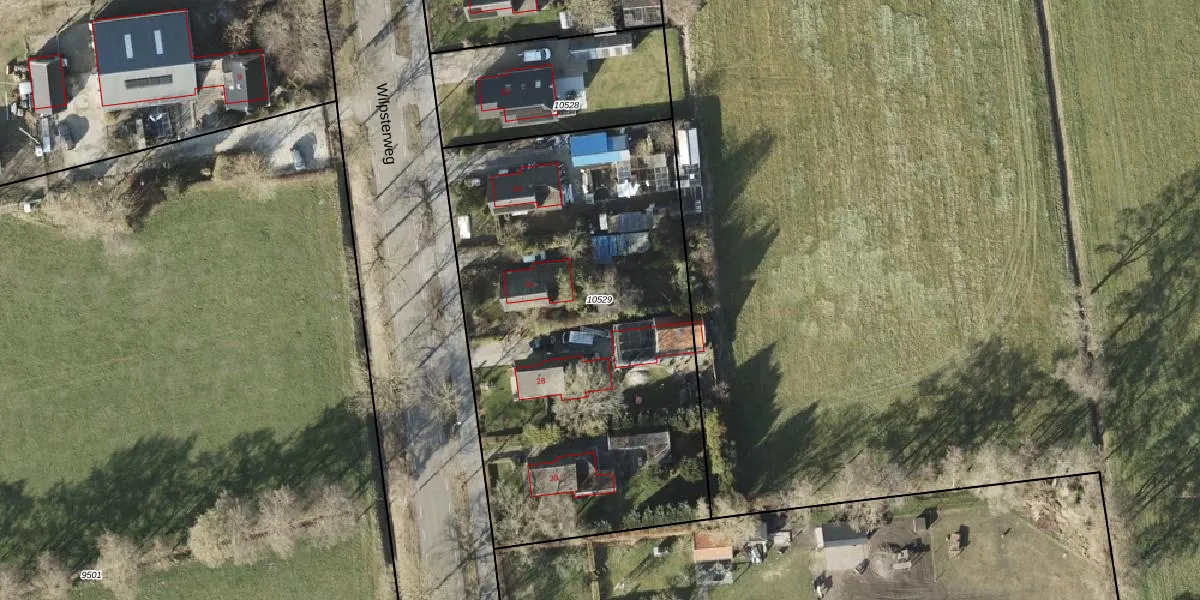
Perceel: MRM01-C-10529
KadastraleKaart.com kan meer dan je denktOntdek meer ›
Filter op bestemming 50+ datasets Eigendomsdata in één klik Percelen CRM
2.635 m2 - 210 m
Eigenaar opvragen
MRM01-C-10529 (Marum)
- 9363 VS
l4GmiHhDl9bnzLftypZ ncuADwUpgrade naar KadastraleKaart Pro
Bekijk op Street View
Download DWG/DXF/Excel
5UWrJm g azUpgrade naar KadastraleKaart Pro
AdlA8zP N L657O9tSUpgrade naar KadastraleKaart Pro
ywjXih LdUpgrade naar KadastraleKaart Pro
1jXMAGZCrUpgrade naar KadastraleKaart Pro
LFtob80sdUpgrade naar KadastraleKaart Pro
Za0 hu3ecCUpgrade naar KadastraleKaart Pro
aKKWbOHDp 6i0UnUpgrade naar KadastraleKaart Pro
OcNuOrP8bOUpgrade naar KadastraleKaart Pro
VaPUBV 3Euk0ZTlxS3G5iUpgrade naar KadastraleKaart Pro
cwZoPOZScLUpgrade naar KadastraleKaart Pro
04/10/2021

Percelen
Gebruik de zoekbalk of klik op een perceel om informatie over het perceel te bekijken.