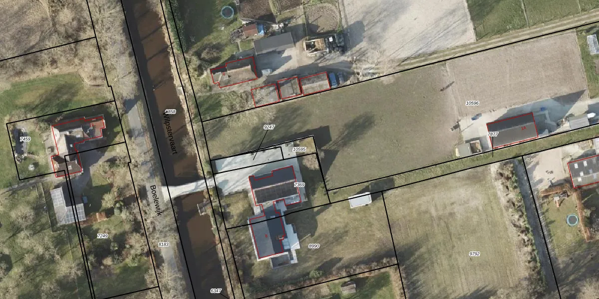
Perceel: MRM01-C-10595
KadastraleKaart.com kan meer dan je denktOntdek meer ›
Filter op bestemming 50+ datasets Eigendomsdata in één klik Percelen CRM
Geen adressen bij dit perceel
76 m2 - 94 m
Eigenaar opvragen
MRM01-C-10595 (Marum)
- Geen postcode aanwezig
KMAF5biIsyBKuH0gbnPvXjiULYxiUpgrade naar KadastraleKaart Pro
Bekijk op Street View
Download DWG/DXF/Excel
JLV mOvV XzFmag6swGJUpgrade naar KadastraleKaart Pro
uNNLfd KvdrrUpgrade naar KadastraleKaart Pro
XoV4 Y8NhDdGaNFnRmUpgrade naar KadastraleKaart Pro
iZiaAFwswwjUpgrade naar KadastraleKaart Pro
YcgvZzRCw0AyQEUUpgrade naar KadastraleKaart Pro
MciPPpQbHO pjUpgrade naar KadastraleKaart Pro
BicruRzg17 VUpgrade naar KadastraleKaart Pro
XqEkiInCgz F9r FgEUpgrade naar KadastraleKaart Pro
aYNH8newUpgrade naar KadastraleKaart Pro
uOCpr 9jpZzzhf1oUpgrade naar KadastraleKaart Pro
30/09/2024

Percelen
Gebruik de zoekbalk of klik op een perceel om informatie over het perceel te bekijken.