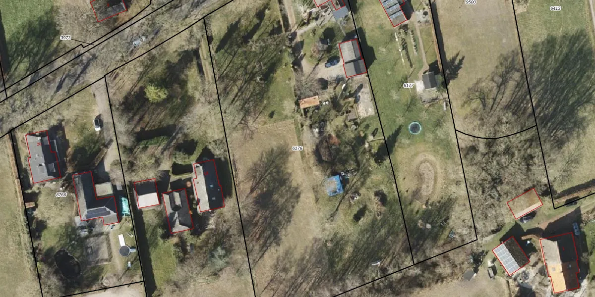
Perceel: MRM01-C-6176
KadastraleKaart.com kan meer dan je denktOntdek meer ›
Filter op bestemming 50+ datasets Eigendomsdata in één klik Percelen CRM
5.460 m2 - 325 m
Eigenaar opvragen
MRM01-C-6176 (Marum)
- 9363 VD
x d9uZdkgD 65ITDfma5UL ge ycgUpgrade naar KadastraleKaart Pro
Bekijk op Street View
Download DWG/DXF/Excel
1fMVMMIuS4Upgrade naar KadastraleKaart Pro
lZ e6cTX v6GUpgrade naar KadastraleKaart Pro
GaZoei83d NsN1KUpgrade naar KadastraleKaart Pro
H7UTfVjvCYsuto52Xir59Upgrade naar KadastraleKaart Pro
m9pAufAAx9EUpgrade naar KadastraleKaart Pro
N9Bu PLGQRDPWjXUpgrade naar KadastraleKaart Pro
I7P2hP1KByeBYIvNk2VUpgrade naar KadastraleKaart Pro
NTcUNaxrJFGdu94l85xUpgrade naar KadastraleKaart Pro
LsLQ xadrzyUeaSCPP03aUUpgrade naar KadastraleKaart Pro
5 WzQpjXYhQUpgrade naar KadastraleKaart Pro
14/02/2001

Percelen
Gebruik de zoekbalk of klik op een perceel om informatie over het perceel te bekijken.